Connect

Find us on...

Dashboard

Login using...

Shawn Bengtson

Office Broker - DRE 01236964

  • Office 760-805-7199
Questions?

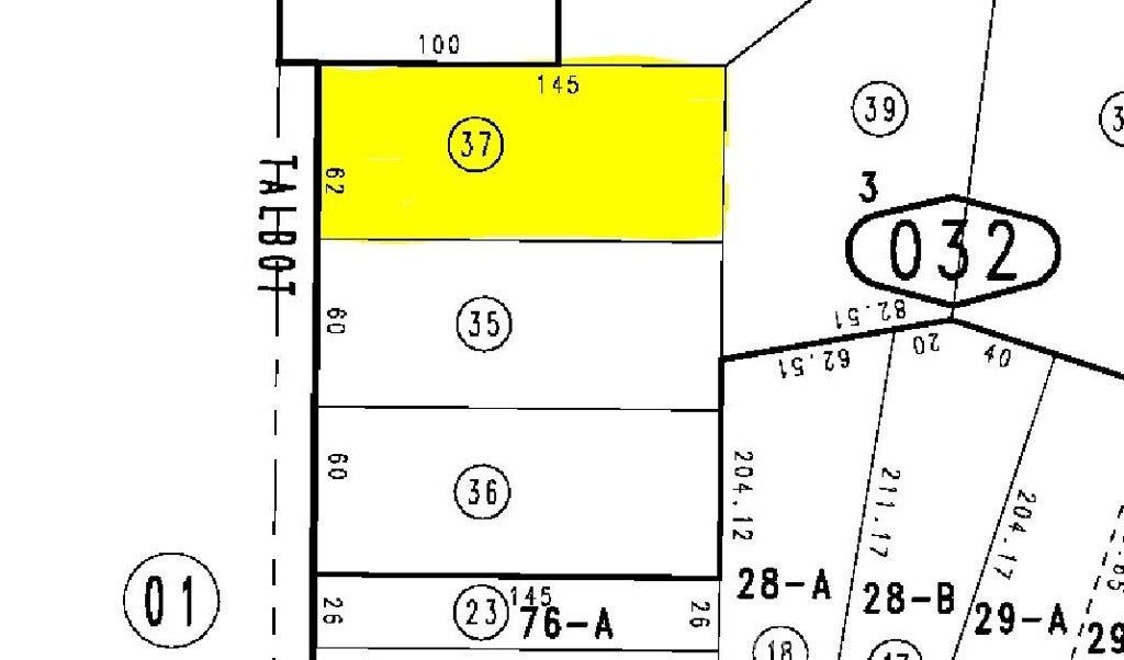
38602 Talbot, Big Bear Lake – $149,900

  • $150k Price
  • .21 Acres
  • 58 DOM
  • $150k Price
  • .21 Acres
  • 58 DOM

38602 Talbot

ATTENTION HOME BUILDERS, DEVELOPERS, INVESTORS, OR FRUSTRATED HOME BUYERS! Can't find the perfect house in the ideal location? A rare offering of two adjacent homesites at the entry to Pappose Bay. Each lot measures approximately 61' X 145' with a gentle downslope, making it more affordable to build on. Corner markers are present, and a topo map is available for each lot. Buy one lot separately, or both, to create a 0.4-acre homesite. All utilities available to the property include city water, natural gas, electric, sewer, and city-maintained roadway.

Essential Information

  • MLS® #IG26026328
  • Price$149,900
  • Bathrooms0.00
  • Acres0.21
  • TypeLand
  • StatusActive

Community Information

  • Address38602 Talbot
  • Area289 - Big Bear Area
  • CityBig Bear Lake
  • CountySan Bernardino
  • Zip Code92315

Amenities

  • ViewNeighborhood, Trees/Woods

Exterior

  • Lot DescriptionLevel, Sloped Down

Additional Information

  • Date ListedFebruary 3rd, 2026
  • Days on Market58
  • ZoningRS-1

Listing Details

  • AgentMichael Dolan
  • OfficeKELLER WILLIAMS BIG BEAR
Please provide a valid email address.

Michael Dolan, KELLER WILLIAMS BIG BEAR.

Based on information from California Regional Multiple Listing Service, Inc. as of April 4th, 2026 at 6:50pm PDT. This information is for your personal, non-commercial use and may not be used for any purpose other than to identify prospective properties you may be interested in purchasing. Display of MLS data is usually deemed reliable but is NOT guaranteed accurate by the MLS. Buyers are responsible for verifying the accuracy of all information and should investigate the data themselves or retain appropriate professionals. Information from sources other than the Listing Agent may have been included in the MLS data. Unless otherwise specified in writing, Broker/Agent has not and will not verify any information obtained from other sources. The Broker/Agent providing the information contained herein may or may not have been the Listing and/or Selling Agent.