Connect

Find us on...

Dashboard

Login using...

Shawn Bengtson

Office Broker - DRE 01236964

  • Office 760-805-7199
Questions?

Evergreen Ave, California City – $8,000

  • $8k Price
  • .28 Acres
  • 281 DOM
  • $8k Price
  • .28 Acres
  • 281 DOM

Evergreen Ave

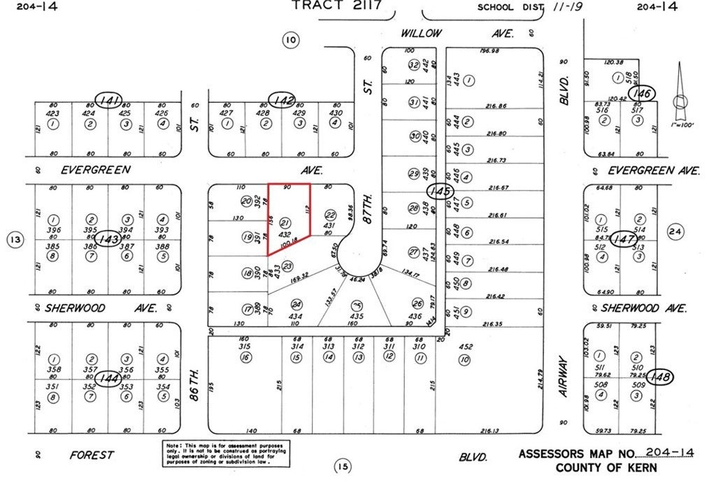
APN: 204-154-21-00-3 Coordinates: 35.105889, -117.974722 12,380 SqFt lot for sale in California City. This is a residential area zoned area in California City, Excellent location to build a home. Other homes with utilities are nearby. Adjacent parcel is also available APN# 204-145-22-00-6

Essential Information

  • MLS® #IV25113677
  • Price$8,000
  • Bathrooms0.00
  • Acres0.28
  • TypeLand
  • StatusActive

Community Information

  • AddressEvergreen Ave
  • AreaCAC - California City
  • CityCalifornia City
  • CountyKern
  • Zip Code93505

Amenities

  • UtilitiesWater Not Available
  • ViewDesert, Hills

Additional Information

  • Date ListedMay 21st, 2025
  • Days on Market281
  • ZoningRM1/RM2

Listing Details

  • AgentNydia Del Rio
  • OfficeHOME & LAND SOURCE
Please provide a valid email address.

Price Change History for Evergreen Ave, California City, (MLS® #IV25113677)

Date Details Change
Price Reduced from $9,000 to $8,000 $1,000 (11.11%)
Price Reduced from $9,900 to $9,000 $900 (9.09%)
Price Reduced from $12,000 to $9,900 $2,100 (17.50%)
Price Reduced from $13,000 to $12,000 $1,000 (7.69%)

Nydia Del Rio, HOME & LAND SOURCE.

Based on information from California Regional Multiple Listing Service, Inc. as of February 26th, 2026 at 2:45pm PST. This information is for your personal, non-commercial use and may not be used for any purpose other than to identify prospective properties you may be interested in purchasing. Display of MLS data is usually deemed reliable but is NOT guaranteed accurate by the MLS. Buyers are responsible for verifying the accuracy of all information and should investigate the data themselves or retain appropriate professionals. Information from sources other than the Listing Agent may have been included in the MLS data. Unless otherwise specified in writing, Broker/Agent has not and will not verify any information obtained from other sources. The Broker/Agent providing the information contained herein may or may not have been the Listing and/or Selling Agent.