Connect

Find us on...

Dashboard

Login using...

Shawn Bengtson

Office Broker - DRE 01236964

  • Office 760-805-7199
Questions?

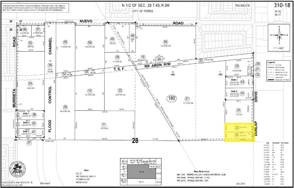
Dunlap Drive, Perris – $900,000

  • $900k Price
  • 5 Acres
  • 204 DOM
  • $900k Price
  • 5 Acres
  • 204 DOM

Dunlap Drive

The subject property consists of approximately 5.0 acres of raw land on Dunlap Dr located just south of Nuevo Rd in the City of Perris, one of Riverside County’s fastest growing cities. The property has an expired TTM for 60 Townhouse Units with 370 feet of frontage along Dunlap Dr. The property is approximately 3 miles from I-215 at Nuevo Rd where there is a large commercial presence. Immediately to the west and to the south of the property is a large 534 acre property known as the Park West Specific Plan. This plan calls for 2,027 total residential units for a gross density of 3.8 DU/AC. The first phase of this development has already been sold to Pulte Homes who is actively building homes in the community. See the “Surrounding Development Map” included on the following page for additional insight on the area. The site has access to water along Dunlap Dr with sewer access available at the newly built church to the north on Dunlap Dr per the Eastern Municipal Water District. Additionally, Pulte Homes is currently installing sewer within Park West Dr which may also be a connection point for future development.

Essential Information

  • MLS® #IV25161119
  • Price$900,000
  • Bathrooms0.00
  • Acres5.00
  • TypeLand
  • StatusActive

Community Information

  • AddressDunlap Drive
  • CityPerris
  • CountyRiverside
  • Zip Code92571

Area

SRCAR - Southwest Riverside County

Amenities

  • ViewValley

Exterior

  • Lot DescriptionValue In Land

Additional Information

  • Date ListedJuly 17th, 2025
  • Days on Market204
  • ZoningMFR-14

Listing Details

  • AgentEric Washle
  • OfficeCOLDWELL BANKER COMMERCIAL SC
Please provide a valid email address.

Eric Washle, COLDWELL BANKER COMMERCIAL SC.

Based on information from California Regional Multiple Listing Service, Inc. as of February 6th, 2026 at 3:26pm PST. This information is for your personal, non-commercial use and may not be used for any purpose other than to identify prospective properties you may be interested in purchasing. Display of MLS data is usually deemed reliable but is NOT guaranteed accurate by the MLS. Buyers are responsible for verifying the accuracy of all information and should investigate the data themselves or retain appropriate professionals. Information from sources other than the Listing Agent may have been included in the MLS data. Unless otherwise specified in writing, Broker/Agent has not and will not verify any information obtained from other sources. The Broker/Agent providing the information contained herein may or may not have been the Listing and/or Selling Agent.