Connect

Find us on...

Dashboard

Login using...

Shawn Bengtson

Office Broker - DRE 01236964

  • Office 760-805-7199
Questions?

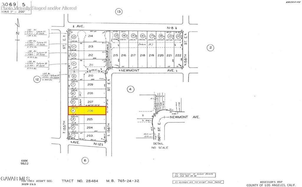
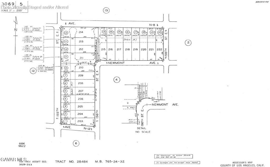
156th E, Lancaster – $49,999

  • $50k Price
  • .97 Acres
  • 34 DOM
  • $50k Price
  • .97 Acres
  • 34 DOM

156th E

PN: 3069-005-004 Coordinates: 34.621222, -117.853361 42,422 SqFt lot for sale in LA County. This lot is located in 156th St E and E Ave N-12 in the Lake Los Angeles area. Excellent location on a paved street near other houses.

Essential Information

  • MLS® #IV26029862
  • Price$49,999
  • Bathrooms0.00
  • Acres0.97
  • TypeLand
  • StatusActive

Community Information

  • Address156th E
  • AreaLAC - Lancaster
  • CityLancaster
  • CountyLos Angeles
  • Zip Code93535

Amenities

  • UtilitiesWater Not Available
  • ViewDesert, Hills

Exterior

  • Lot DescriptionAgricultural

Additional Information

  • Date ListedFebruary 9th, 2026
  • Days on Market34
  • ZoningA-1-1

Listing Details

  • AgentNydia Del Rio
  • OfficeHOME & LAND SOURCE
Please provide a valid email address.

Nydia Del Rio, HOME & LAND SOURCE.

Based on information from California Regional Multiple Listing Service, Inc. as of March 15th, 2026 at 9:25pm PDT. This information is for your personal, non-commercial use and may not be used for any purpose other than to identify prospective properties you may be interested in purchasing. Display of MLS data is usually deemed reliable but is NOT guaranteed accurate by the MLS. Buyers are responsible for verifying the accuracy of all information and should investigate the data themselves or retain appropriate professionals. Information from sources other than the Listing Agent may have been included in the MLS data. Unless otherwise specified in writing, Broker/Agent has not and will not verify any information obtained from other sources. The Broker/Agent providing the information contained herein may or may not have been the Listing and/or Selling Agent.