Connect

Find us on...

Dashboard

Login using...

Shawn Bengtson

Office Broker - DRE 01236964

  • Office 760-805-7199
Questions?

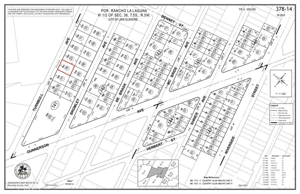
Turnbull Ave, Lake Elsinore – $60,000

  • $60k Price
  • .12 Acres
  • 20 DOM
  • $60k Price
  • .12 Acres
  • 20 DOM

Turnbull Ave

Great investment opportunity, this lot is clean, graded and build-ready. Usable parcel offers potential for all investment projects, custom home. City water is across the road, Power line runs at lot line. The lot also has the potential for a well, the area is known for relatively shallow groundwater conditions. Property across the road is planned for three houses. Developing and growing city of Lake Elsinore, recent median home price around $615,000. Minutes away from freeway 15, shopping centers (Costco, Walmart, Home Depot) and the lake. Buyers to do their own diligence on the suitability of this parcel.

Essential Information

  • MLS® #IV26043027
  • Price$60,000
  • Bathrooms0.00
  • Acres0.12
  • TypeLand
  • StatusActive

Community Information

  • AddressTurnbull Ave
  • CityLake Elsinore
  • CountyRiverside
  • Zip Code92530

Area

SRCAR - Southwest Riverside County

Amenities

  • UtilitiesWater Not Available
  • ViewHills

Exterior

  • Lot DescriptionCorners Marked

Additional Information

  • Date ListedFebruary 26th, 2026
  • Days on Market20
  • ZoningLAND

Listing Details

  • AgentAna Perez
  • OfficeCOLDWELL BANKER REALTY
Please provide a valid email address.

Ana Perez, COLDWELL BANKER REALTY.

Based on information from California Regional Multiple Listing Service, Inc. as of March 18th, 2026 at 9:27pm PDT. This information is for your personal, non-commercial use and may not be used for any purpose other than to identify prospective properties you may be interested in purchasing. Display of MLS data is usually deemed reliable but is NOT guaranteed accurate by the MLS. Buyers are responsible for verifying the accuracy of all information and should investigate the data themselves or retain appropriate professionals. Information from sources other than the Listing Agent may have been included in the MLS data. Unless otherwise specified in writing, Broker/Agent has not and will not verify any information obtained from other sources. The Broker/Agent providing the information contained herein may or may not have been the Listing and/or Selling Agent.