Connect

Find us on...

Dashboard

Login using...

Shawn Bengtson

Office Broker - DRE 01236964

  • Office 760-805-7199
Questions?

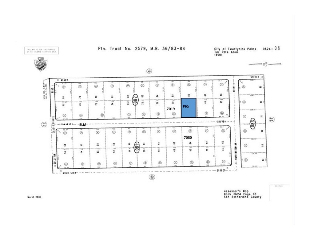
Elm (tamarisk), 29 Palms – $19,800

  • $19.8k Price
  • .3 Acres
  • 6 DOM
  • $19.8k Price
  • .3 Acres
  • 6 DOM

Elm (tamarisk)

Fantastic opportunity to build your desert home or private retreat! This beautiful, flat parcel is ideally located in the desirable Hanson Tract of Twentynine Palms, just minutes from the East Entrance of Joshua Tree National Park. Enjoy wide-open skies, stunning desert views, and a peaceful setting with no Joshua Trees to contend with. All utilities are available, making this an excellent choice for your future build. Don’t miss the chance to own a prime piece of the High Desert—come see it for yourself!

Essential Information

  • MLS® #JT26032599
  • Price$19,800
  • Bathrooms0.00
  • Acres0.30
  • TypeLand
  • StatusActive

Community Information

  • AddressElm (tamarisk)
  • AreaDC729 - Hanson Area
  • City29 Palms
  • CountySan Bernardino
  • Zip Code92277

Amenities

  • ViewDesert, Mountain(s)

Utilities

Electricity Available, Phone Available, Water Available, Sewer Not Available

Exterior

Lot Description

Desert Front, Rectangular Lot, Desert Back

Additional Information

  • Date ListedFebruary 12th, 2026
  • Days on Market6
  • ZoningSFR 4

Listing Details

  • AgentRobert Armstrong
  • OfficeGREEN Real Estate Group
Please provide a valid email address.

Robert Armstrong, GREEN Real Estate Group.

Based on information from California Regional Multiple Listing Service, Inc. as of February 18th, 2026 at 5:21pm PST. This information is for your personal, non-commercial use and may not be used for any purpose other than to identify prospective properties you may be interested in purchasing. Display of MLS data is usually deemed reliable but is NOT guaranteed accurate by the MLS. Buyers are responsible for verifying the accuracy of all information and should investigate the data themselves or retain appropriate professionals. Information from sources other than the Listing Agent may have been included in the MLS data. Unless otherwise specified in writing, Broker/Agent has not and will not verify any information obtained from other sources. The Broker/Agent providing the information contained herein may or may not have been the Listing and/or Selling Agent.