Connect

Find us on...

Dashboard

Login using...

Shawn Bengtson

Office Broker - DRE 01236964

  • Office 760-805-7199
Questions?

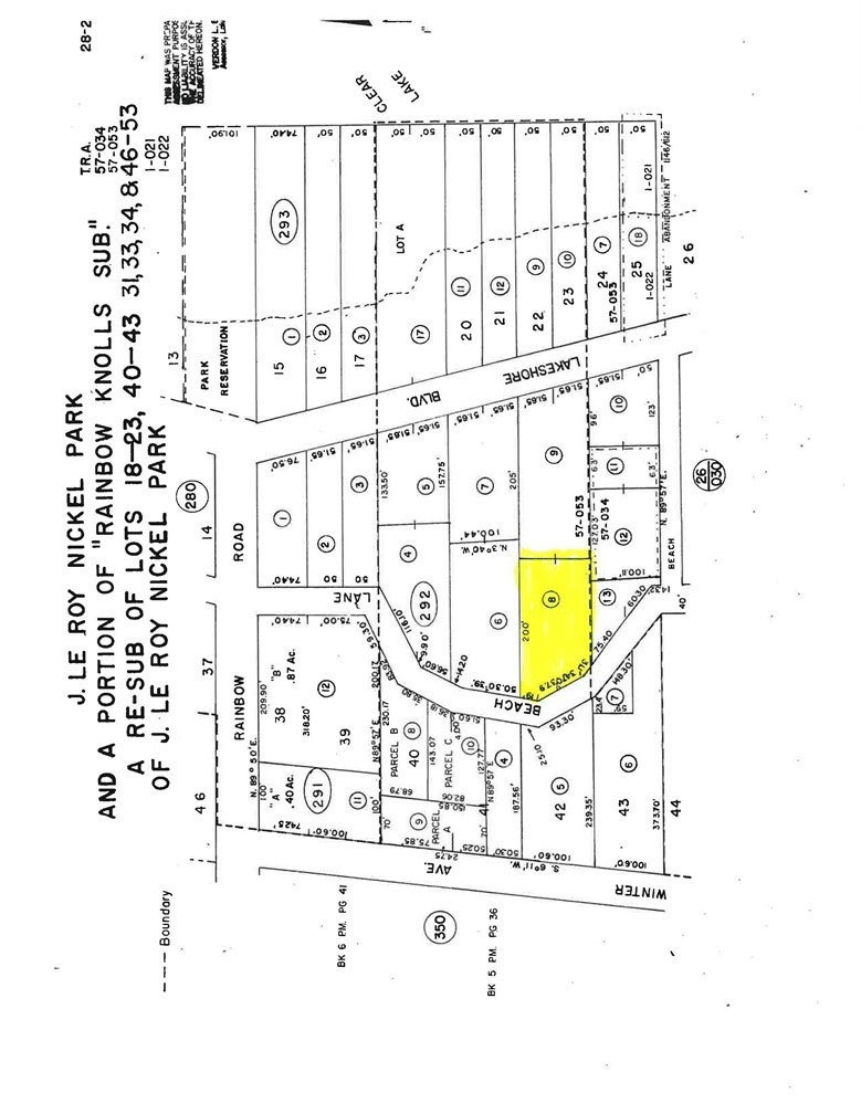
2534 Beach Lane, Lakeport – $130,000

  • $130k Price
  • .37 Acres
  • 270 DOM
  • $130k Price
  • .37 Acres
  • 270 DOM

2534 Beach Lane

Discover this expansive R2-zoned lot located in Lakeport, just outside the city limits, offering an exceptional opportunity for development. With ample space for a duplex, this property is ideally situated in a prime location that boasts potential for stunning lake views. The lot benefits from convenient access to essential amenities, including restaurants, schools, and shopping, making it an attractive option for future tenants or homeowners. Additionally, it's just one block away from the beautiful lake, and future Disney water sports boat rentals, providing easy access to recreational activities and picturesque scenery. Please note that while water is available at the property, a water hookup will be necessary. Furthermore, a septic system and dosing tank will need to be installed to accommodate future development. Don't miss out on this fantastic opportunity to invest in a promising location in Lakeport!

Essential Information

  • MLS® #LC25148519
  • Price$130,000
  • Bathrooms0.00
  • Acres0.37
  • TypeLand
  • StatusActive

Community Information

  • Address2534 Beach Lane
  • AreaLCLPN - Lakeport North
  • CityLakeport
  • CountyLake
  • Zip Code95453

Amenities

  • ViewLake, Neighborhood, Water

Exterior

  • Lot DescriptionLevel, Street Level

Additional Information

  • Date ListedJuly 2nd, 2025
  • Days on Market270
  • ZoningR2

Listing Details

  • AgentJulie Taylor
  • OfficeCountry Air Properties
Please provide a valid email address.

Julie Taylor, Country Air Properties.

Based on information from California Regional Multiple Listing Service, Inc. as of March 29th, 2026 at 3:21am PDT. This information is for your personal, non-commercial use and may not be used for any purpose other than to identify prospective properties you may be interested in purchasing. Display of MLS data is usually deemed reliable but is NOT guaranteed accurate by the MLS. Buyers are responsible for verifying the accuracy of all information and should investigate the data themselves or retain appropriate professionals. Information from sources other than the Listing Agent may have been included in the MLS data. Unless otherwise specified in writing, Broker/Agent has not and will not verify any information obtained from other sources. The Broker/Agent providing the information contained herein may or may not have been the Listing and/or Selling Agent.