Connect

Find us on...

Dashboard

Login using...

Shawn Bengtson

Office Broker - DRE 01236964

  • Office 760-805-7199
Questions?

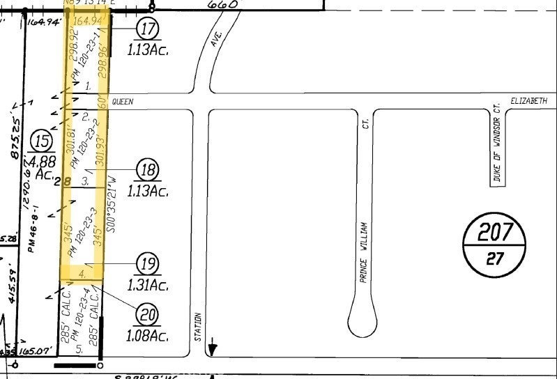
Queen Elizabeth, Atwater – $167,000

  • $167k Price
  • 1.13 Acres
  • 111 DOM
  • $167k Price
  • 1.13 Acres
  • 111 DOM

Queen Elizabeth

Exceptional residential lot located in the highly desirable McSwain area—an ideal setting to create the home you’ve always envisioned. Sitting on just over an acre, this spacious parcel offers endless possibilities for your custom build, with plenty of room for a pool, shop, or outdoor entertaining space. Surrounded by beautiful, custom-built homes, the property provides a peaceful rural atmosphere while still being conveniently close to town, schools, and major commuter routes. Enjoy the best of both worlds—quiet country living with easy access to nearby amenities. Don’t miss this rare opportunity to secure a prime piece of land in one of McSwain’s most sought-after neighborhoods. The perfect canvas for your dream home awaits! This Property is being sold along with two other vacant lots.

Essential Information

  • MLS® #MC25247011
  • Price$167,000
  • Bathrooms0.00
  • Acres1.13
  • TypeLand
  • StatusActive

Community Information

  • AddressQueen Elizabeth
  • CityAtwater
  • CountyMerced
  • Zip Code95301

Amenities

  • UtilitiesWater Not Available
  • ViewNeighborhood

Exterior

  • Lot DescriptionLot Over 40000 Sqft

Additional Information

  • Date ListedOctober 24th, 2025
  • Days on Market111
  • ZoningA-R

Listing Details

  • AgentAraceli Gomez Gutierrez
  • OfficeNextHome D&G Realty Group
Please provide a valid email address.

Araceli Gomez Gutierrez, NextHome D&G Realty Group.

Based on information from California Regional Multiple Listing Service, Inc. as of February 24th, 2026 at 3:56pm PST. This information is for your personal, non-commercial use and may not be used for any purpose other than to identify prospective properties you may be interested in purchasing. Display of MLS data is usually deemed reliable but is NOT guaranteed accurate by the MLS. Buyers are responsible for verifying the accuracy of all information and should investigate the data themselves or retain appropriate professionals. Information from sources other than the Listing Agent may have been included in the MLS data. Unless otherwise specified in writing, Broker/Agent has not and will not verify any information obtained from other sources. The Broker/Agent providing the information contained herein may or may not have been the Listing and/or Selling Agent.