Connect

Find us on...

Dashboard

Login using...

Shawn Bengtson

Office Broker - DRE 01236964

  • Office 760-805-7199
Questions?

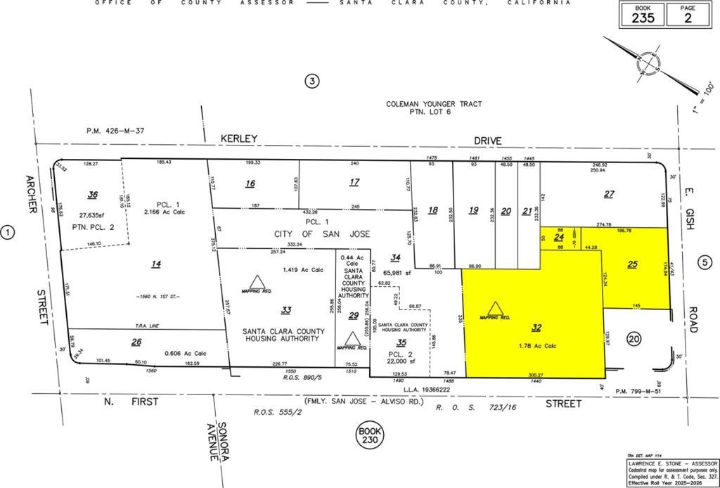
1440 N 1st Street, San Jose – $19,900,000

  • $19.9M Price
  • 2.51 Acres
  • 146 DOM
  • $19.9M Price
  • 2.51 Acres
  • 146 DOM

1440 N 1st Street

This sale includes three contiguous parcels totaling approximately 2.51 acres of prime land located just half a mile from San Jose Mineta International Airport and less than three miles from Downtown San Jose and San Jose State University. *** 1440 N 1st St (APN: 235-02-032) -- 1.78 acres, currently San Jose Airport Inn *** 41 E Gish Rd (APN: 235-02-025) -- 0.63 acres, currently two commercial buildings *** APN: 235-02-024 -- 0.10 acres, used as a parking lot *** Situated directly across from VTA,s Light Rail Gish Station *** Zoned as Urban Village with up to 250* DU/AC (Dwelling Units per Acre) and a Floor Area Ratio of 10.0 (10 times larger than the total lot area). *** Estimated 28,000+ vehicles and pedestrians passing daily along North First Street, the property enjoys exceptional visibility and strong potential for retail or mixed-use activation. *** Exceptional development potential in a highly visible and convenient location.

Essential Information

  • MLS® #ML82026193
  • Price$19,900,000
  • Bathrooms0.00
  • Acres2.51
  • TypeCommercial Sale
  • StatusActive

Community Information

  • Address1440 N 1st Street
  • Area699 - Not Defined
  • CitySan Jose
  • CountySanta Clara
  • Zip Code95112

School Information

  • DistrictSan Jose Unified

Additional Information

  • Date ListedOctober 29th, 2025
  • Days on Market146
  • ZoningUrban Village

Listing Details

  • AgentStanley Lo
  • OfficeGreen Banker Realty
Please provide a valid email address.

Price Change History for 1440 N 1st Street, San Jose, (MLS® #ML82026193)

Date Details Change
Price Reduced from $23,000,000 to $19,900,000 $3,100,000 (13.48%)

Stanley Lo, Green Banker Realty.

Based on information from California Regional Multiple Listing Service, Inc. as of March 24th, 2026 at 10:30am PDT. This information is for your personal, non-commercial use and may not be used for any purpose other than to identify prospective properties you may be interested in purchasing. Display of MLS data is usually deemed reliable but is NOT guaranteed accurate by the MLS. Buyers are responsible for verifying the accuracy of all information and should investigate the data themselves or retain appropriate professionals. Information from sources other than the Listing Agent may have been included in the MLS data. Unless otherwise specified in writing, Broker/Agent has not and will not verify any information obtained from other sources. The Broker/Agent providing the information contained herein may or may not have been the Listing and/or Selling Agent.