Connect

Find us on...

Dashboard

Login using...

Shawn Bengtson

Office Broker - DRE 01236964

  • Office 760-805-7199
Questions?

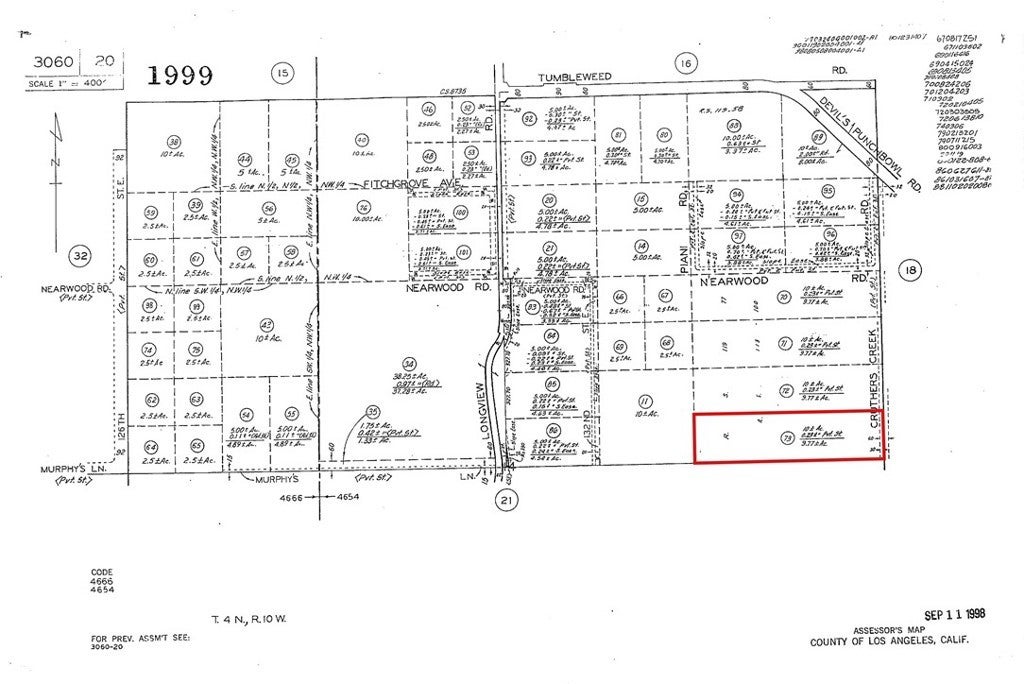
Cruthers Creek Road, Juniper Hills – $35,000

  • $35k Price
  • 9.85 Acres
  • 21 DOM
  • $35k Price
  • 9.85 Acres
  • 21 DOM

Cruthers Creek Road

Prime 9.85-acre mountain retreat with seller financing available in sought-after Pearblossom area of Los Angeles County at incredible $35,000 price point. This flat, buildable A-1-5 zoned parcel on Cruthers Creek Road offers mountain views, native California scrub oak trees, and excellent development potential just minutes from Juniper Hills recreation and Devil's Punchbowl Natural Area. Electricity available at street with well needed for water and septic for sewer, keeping utility costs manageable while providing off-grid independence. Dirt road access ensures privacy and rural character while remaining accessible year-round. Located at coordinates 34.43429, -117.89004 for easy GPS navigation to this hidden gem in the San Gabriel Mountain foothills. Perfect for custom home construction, agricultural use, recreational retreat, or investment in Los Angeles County's growing rural market where land averages $10,492 per acre - making this $3,553 per acre opportunity exceptional value. The Light Agricultural zoning allows residential development plus farming, horses, or other rural lifestyle activities. Pearblossom's strategic location provides mountain sanctuary living with convenient access to Palmdale shopping and services, while nearby attractions include Pacific Crest Trail, Angeles National Forest camping and hiking, and world-class Devil's Punchbowl geological formations. This rare combination of acreage, affordability, mountain views, buildable terrain, and seller financing creates immediate opportunity for buyers seeking Southern California mountain property without premium pricing. Whether developing your dream homestead, securing recreational land, or investing in appreciating rural property, this 9.85-acre parcel delivers maximum potential at minimum cost. APN 3060-020-073. Drive by today and envision your mountain paradise in this peaceful corner of Los Angeles County where rural living meets modern convenience.

Essential Information

  • MLS® #ND25270319
  • Price$35,000
  • Bathrooms0.00
  • Acres9.85
  • TypeLand
  • StatusActive

Community Information

  • AddressCruthers Creek Road
  • AreaJHLS - Juniper Hills
  • CityJuniper Hills
  • CountyLos Angeles
  • Zip Code93543

Amenities

  • ViewMountain(s)

Utilities

Electricity Available, None, Sewer Not Available, Water Not Available

Exterior

  • Lot DescriptionSixToTenUnitsAcre

Additional Information

  • Date ListedDecember 9th, 2025
  • Days on Market21
  • ZoningLCA11*

Listing Details

  • AgentDonald Adamson
  • OfficeLoanstar Financial
Please provide a valid email address.

Donald Adamson, Loanstar Financial.

Based on information from California Regional Multiple Listing Service, Inc. as of December 30th, 2025 at 8:30pm PST. This information is for your personal, non-commercial use and may not be used for any purpose other than to identify prospective properties you may be interested in purchasing. Display of MLS data is usually deemed reliable but is NOT guaranteed accurate by the MLS. Buyers are responsible for verifying the accuracy of all information and should investigate the data themselves or retain appropriate professionals. Information from sources other than the Listing Agent may have been included in the MLS data. Unless otherwise specified in writing, Broker/Agent has not and will not verify any information obtained from other sources. The Broker/Agent providing the information contained herein may or may not have been the Listing and/or Selling Agent.