Connect

Find us on...

Dashboard

Login using...

Shawn Bengtson

Office Broker - DRE 01236964

  • Office 760-805-7199
Questions?

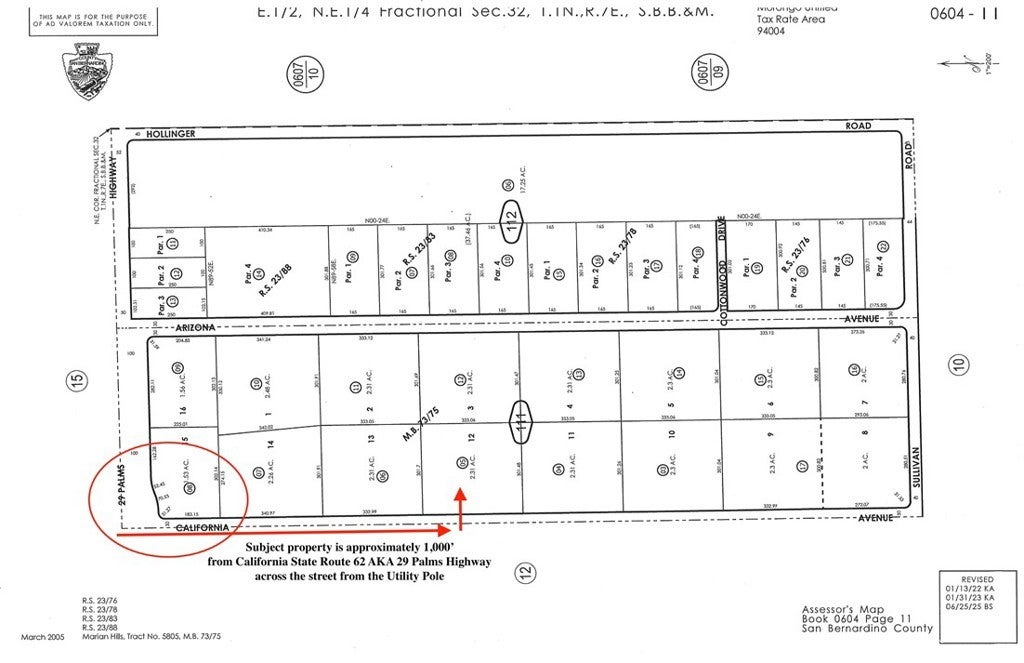
California Avenue, Joshua Tree – $39,000

  • $39k Price
  • 2.31 Acres
  • 28 DOM
  • $39k Price
  • 2.31 Acres
  • 28 DOM

California Avenue

Pretty much level 2.31 acre parcel not far from the popular Joshua Tree National Park on the Park side of the Highway. Nearby Utility poles. Beautiful views of the Mountains, great access to the property on a signed and graded road about 1000’ from California State Route 62 aka 29 palms Highway. APPROXIMATE GPS Coordinates from google maps: 34°07'54.1"N 116°16’06.7"W

Essential Information

  • MLS® #NP26033784
  • Price$39,000
  • Bathrooms0.00
  • Acres2.31
  • TypeLand
  • StatusActive

Community Information

  • AddressCalifornia Avenue
  • AreaDC613 - Hospital District
  • CityJoshua Tree
  • CountySan Bernardino
  • Zip Code92252

Amenities

  • UtilitiesSewer Not Available
  • ViewMountain(s)

Exterior

Lot Description

TwoToFiveUnitsAcre, Lot Over 40000 Sqft

Additional Information

  • Date ListedFebruary 13th, 2026
  • Days on Market28
  • Zoningvacant land

Listing Details

  • AgentRobert Koop Jr
  • OfficeTekoop Properties, Inc.
Please provide a valid email address.

Robert Koop Jr, Tekoop Properties, Inc..

Based on information from California Regional Multiple Listing Service, Inc. as of March 13th, 2026 at 3:13pm PDT. This information is for your personal, non-commercial use and may not be used for any purpose other than to identify prospective properties you may be interested in purchasing. Display of MLS data is usually deemed reliable but is NOT guaranteed accurate by the MLS. Buyers are responsible for verifying the accuracy of all information and should investigate the data themselves or retain appropriate professionals. Information from sources other than the Listing Agent may have been included in the MLS data. Unless otherwise specified in writing, Broker/Agent has not and will not verify any information obtained from other sources. The Broker/Agent providing the information contained herein may or may not have been the Listing and/or Selling Agent.