Connect

Find us on...

Dashboard

Login using...

Shawn Bengtson

Office Broker - DRE 01236964

  • Office 760-805-7199
Questions?

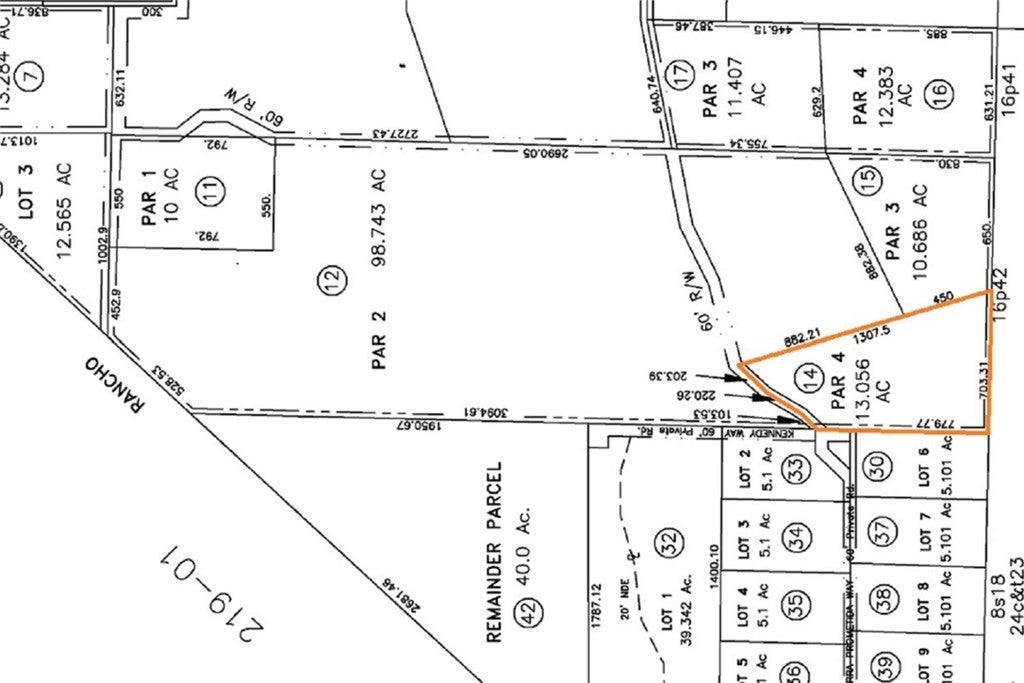
54421 Bradley Lockwood Road, Bradley – $299,000

  • $299k Price
  • 13.06 Acres
  • 141 DOM
  • $299k Price
  • 13.06 Acres
  • 141 DOM

54421 Bradley Lockwood Road

This 13+ acre parcel in South Monterey County offers an exceptional opportunity to create your own country retreat. Gently rolling grassland, adorned with scattered mature oaks, provides the perfect foundation for a custom home, weekend getaway, or small-scale agricultural venture. Situated at the end of a well-maintained road, the property ensures end-of-road privacy, making it ideal for those seeking a peaceful escape in a tranquil setting. Zoned Rural Density Residential, this land offers multiple possibilities for development. PG&E power is available at the road, and the property is equipped with a private domestic well, located within the Lockwood Valley Groundwater Basin, known for its high-quality and abundant groundwater. With several potential building sites and partial fencing already in place, this parcel offers both practicality and natural beauty. The property features stunning panoramic views of Lake San Antonio, Lockwood Valley, and the surrounding ranchland, vineyards, and oak-covered hills. The landscape is the perfect backdrop for a gentleman's farm, offering ample space for livestock, farming, or simply enjoying the quiet beauty of the countryside. Abundant wildlife makes this an ideal location for nature enthusiasts. Just 35 minutes from Paso Robles, you'll have easy access to shopping, dining, wine tasting, and entertainment, while still enjoying the privacy and charm of rural living. Don't miss the opportunity to own this unique piece of Central Coast paradise. Ask about available vacant land bank financing with as little as 15-30% down.

Essential Information

  • MLS® #NS25178366
  • Price$299,000
  • Bathrooms0.00
  • Acres13.06
  • TypeLand
  • StatusActive

Community Information

  • Address54421 Bradley Lockwood Road
  • AreaPRNW - PR North 46-West 101
  • SubdivisionPR Lockwood Valley(240)
  • CityBradley
  • CountyMonterey
  • Zip Code93426

Amenities

  • WaterfrontReservoir in Community

Utilities

Electricity Available, Natural Gas Not Available, See Remarks, Water Connected

View

Hills, Lake, Meadow, Mountain(s), Neighborhood, Panoramic, Pasture, Valley, Vineyard, Trees/Woods

Exterior

Lot Description

Gentle Sloping, Horse Property, Irregular Lot, Rolling Slope, Secluded, Trees

Additional Information

  • Date ListedAugust 8th, 2025
  • Days on Market141
  • ZoningRural Density Residential

Listing Details

  • AgentPedro Plascencia
  • OfficeCountry Real Estate
Please provide a valid email address.

Price Change History for 54421 Bradley Lockwood Road, Bradley, (MLS® #NS25178366)

Date Details Change
Price Reduced from $325,000 to $299,000 $26,000 (8.00%)

Pedro Plascencia, Country Real Estate.

Based on information from California Regional Multiple Listing Service, Inc. as of December 27th, 2025 at 2:56am PST. This information is for your personal, non-commercial use and may not be used for any purpose other than to identify prospective properties you may be interested in purchasing. Display of MLS data is usually deemed reliable but is NOT guaranteed accurate by the MLS. Buyers are responsible for verifying the accuracy of all information and should investigate the data themselves or retain appropriate professionals. Information from sources other than the Listing Agent may have been included in the MLS data. Unless otherwise specified in writing, Broker/Agent has not and will not verify any information obtained from other sources. The Broker/Agent providing the information contained herein may or may not have been the Listing and/or Selling Agent.