Connect

Find us on...

Dashboard

Login using...

Shawn Bengtson

Office Broker - DRE 01236964

  • Office 760-805-7199
Questions?

1000 Locust Road, Boron – $7,950

  • $8k Price
  • 1.98 Acres
  • 172 DOM
  • $8k Price
  • 1.98 Acres
  • 172 DOM

1000 Locust Road

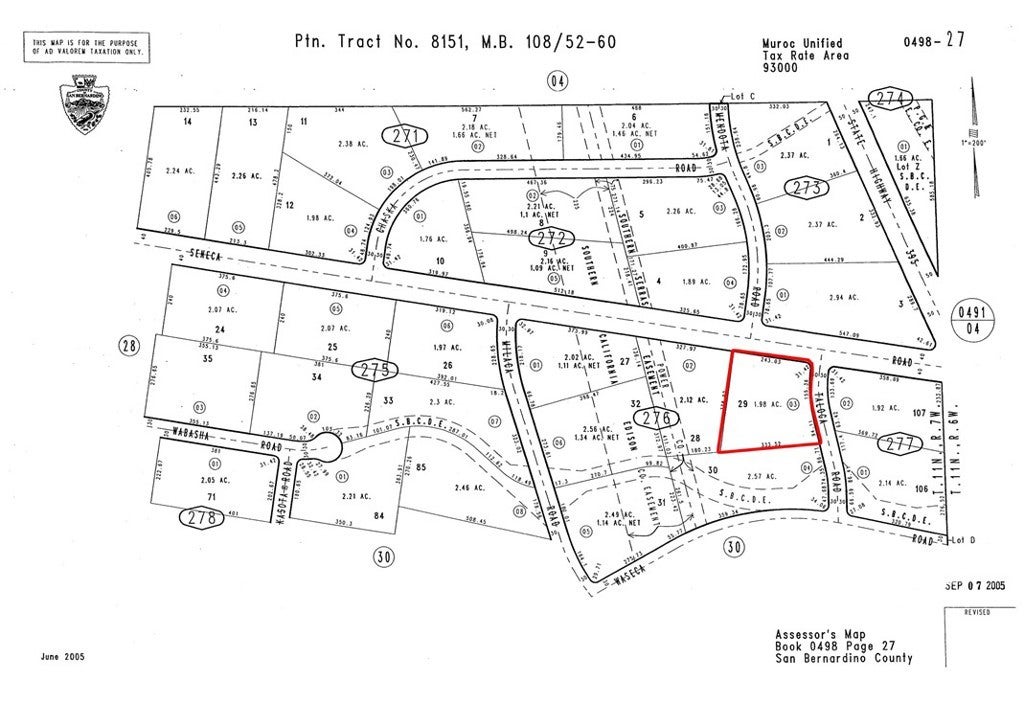
Don’t miss this incredible opportunity to own nearly 2 acres of high desert land located just steps from the Boron FAA Radar Station and only 15 minutes north of the Boron Aerospace Museum at Kramer Junction. This corner 1.98-acre (86,249 SF) parcel, APN: 0498-276-03-0000, offers excellent access and visibility, sitting just one lot off the well-traveled U.S. Highway 395 at the Locust Road exit and Taloga Road. Perfect for investors, outdoor enthusiasts, or those seeking a strategic location near key infrastructure, this flat and usable land is ideal for off-grid living, storage, staging, or long-term investment. The area is known for its wide-open skies, rich aerospace history, and convenient proximity to both Barstow and Boron. Whether you're looking to develop or simply hold as an appreciating asset, this parcel offers a rare blend of location, accessibility, and potential. Secure your slice of California’s high desert while it’s still affordable!

Essential Information

  • MLS® #OC25148972
  • Price$7,950
  • Bathrooms0.00
  • Acres1.98
  • TypeLand
  • StatusActive

Community Information

  • Address1000 Locust Road
  • AreaBORN - Boron
  • CityBoron
  • CountySan Bernardino
  • Zip Code93516

Amenities

  • UtilitiesSee Remarks
  • ViewDesert

Exterior

Lot Description

Irregular Lot, Lot Over 40000 Sqft, Level, Secluded, Street Level

Additional Information

  • Date ListedJuly 1st, 2025
  • Days on Market172
  • ZoningRC

Listing Details

  • AgentScott Vu
  • OfficeNexus Commercial
Please provide a valid email address.

Price Change History for 1000 Locust Road, Boron, (MLS® #OC25148972)

Date Details Change
Price Reduced from $9,950 to $7,950 $2,000 (20.10%)

Scott Vu, Nexus Commercial.

Based on information from California Regional Multiple Listing Service, Inc. as of December 21st, 2025 at 12:56am PST. This information is for your personal, non-commercial use and may not be used for any purpose other than to identify prospective properties you may be interested in purchasing. Display of MLS data is usually deemed reliable but is NOT guaranteed accurate by the MLS. Buyers are responsible for verifying the accuracy of all information and should investigate the data themselves or retain appropriate professionals. Information from sources other than the Listing Agent may have been included in the MLS data. Unless otherwise specified in writing, Broker/Agent has not and will not verify any information obtained from other sources. The Broker/Agent providing the information contained herein may or may not have been the Listing and/or Selling Agent.