Connect

Find us on...

Dashboard

Login using...

Shawn Bengtson

Office Broker - DRE 01236964

  • Office 760-805-7199
Questions?

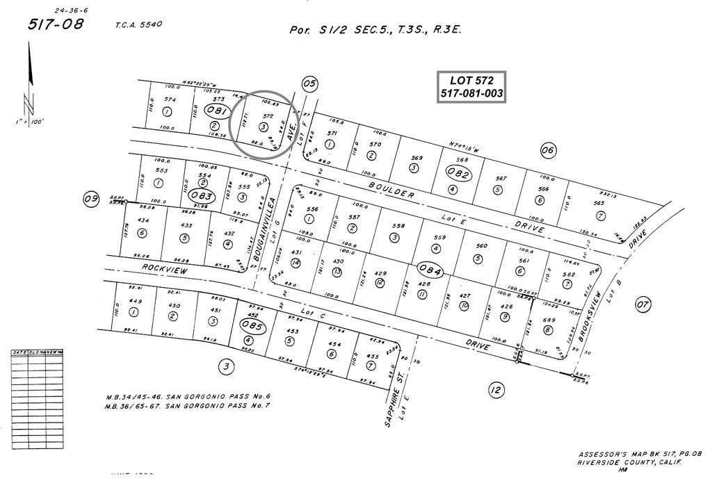
55510 Boulder Drive, Whitewater – $29,500

  • $29.5k Price
  • .19 Acres
  • 229 DOM
  • $29.5k Price
  • .19 Acres
  • 229 DOM

55510 Boulder Drive

OWNER FINANCING AVAILABLE! Great opportunity to own your own homesite or invest in land. Lot in Whitewater for sale. Higher elevation offers breathtaking views of San Jacinto mountain. Quiet area with a lot of opportunity for you to own land and bring your RV, mobile home or build your dream home. Fantastic location close to Cabazon stores, restaurants, outlets and Desert Hot Springs. Lot is level. Water and electricity are available to many lots. Buyer to verify availability of all utilities for this property. This lot offer the opportunity to develop the property to meet your needs. Multiple lots available.

Essential Information

  • MLS® #OC25167420
  • Price$29,500
  • Bathrooms0.00
  • Acres0.19
  • TypeLand
  • StatusActive

Community Information

  • Address55510 Boulder Drive
  • Area699 - Not Defined
  • CityWhitewater
  • CountyRiverside
  • Zip Code92282

Amenities

  • ViewDesert, Mountain(s)

Exterior

  • Lot DescriptionDesert Front

Additional Information

  • Date ListedJuly 9th, 2025
  • Days on Market229
  • ZoningR-R

Listing Details

  • AgentSean Mcgraw
  • OfficeThe Agency Realty, Inc.
Please provide a valid email address.

Sean Mcgraw, The Agency Realty, Inc..

Based on information from California Regional Multiple Listing Service, Inc. as of March 11th, 2026 at 8:56am PDT. This information is for your personal, non-commercial use and may not be used for any purpose other than to identify prospective properties you may be interested in purchasing. Display of MLS data is usually deemed reliable but is NOT guaranteed accurate by the MLS. Buyers are responsible for verifying the accuracy of all information and should investigate the data themselves or retain appropriate professionals. Information from sources other than the Listing Agent may have been included in the MLS data. Unless otherwise specified in writing, Broker/Agent has not and will not verify any information obtained from other sources. The Broker/Agent providing the information contained herein may or may not have been the Listing and/or Selling Agent.