Connect

Find us on...

Dashboard

Login using...

Shawn Bengtson

Office Broker - DRE 01236964

  • Office 760-805-7199
Questions?

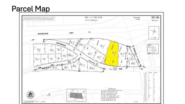
28180 Jefferson Avenue, Temecula – $15,000,000

  • $15M Price
  • 3.58 Acres
  • 108 DOM
  • $15M Price
  • 3.58 Acres
  • 108 DOM

28180 Jefferson Avenue

Temecula Multi-family Development Opportunity for 233 Keys Status: Stamp Approved, Fully Entitled, Shovel Ready This is a rare shovel-ready project in one of California’s high-growth mid-level markets, ideally positioned to meet the demands of young professionals and lifestyle renters. Highlights: • Prime Uptown Temecula location in the heart of Wine Country and Uptown Temecula Specific Plan. • Fully approved entitlements after a lengthy process – ready to pull permits immediately. • Strong market fundamentals: population growth, accelerated incomes, large percentage of residents 'aging-up' into rental market. • Two-building design totaling 238 Class-A units plus ~27,000 SF retail/restaurant/event space. • Positioned for strong absorption post 2026. • Rare opportunity in one of California’s fastest-growing lifestyle-driven markets.

Essential Information

  • MLS® #OC25188434
  • Price$15,000,000
  • Bathrooms0.00
  • Acres3.58
  • TypeLand
  • StatusActive

Community Information

  • Address28180 Jefferson Avenue
  • Area699 - Not Defined
  • CityTemecula
  • CountyRiverside
  • Zip Code92590

Amenities

  • ViewNone

Exterior

Lot Description

Over 40 Units/Acre, Street Level

Additional Information

  • Date ListedAugust 20th, 2025
  • Days on Market108
  • ZoningSP-14

Listing Details

  • AgentChris Lee
  • OfficeBerkshire Hathaway HomeService
Please provide a valid email address.

Chris Lee, Berkshire Hathaway HomeService.

Based on information from California Regional Multiple Listing Service, Inc. as of December 6th, 2025 at 2:12pm PST. This information is for your personal, non-commercial use and may not be used for any purpose other than to identify prospective properties you may be interested in purchasing. Display of MLS data is usually deemed reliable but is NOT guaranteed accurate by the MLS. Buyers are responsible for verifying the accuracy of all information and should investigate the data themselves or retain appropriate professionals. Information from sources other than the Listing Agent may have been included in the MLS data. Unless otherwise specified in writing, Broker/Agent has not and will not verify any information obtained from other sources. The Broker/Agent providing the information contained herein may or may not have been the Listing and/or Selling Agent.