Connect

Find us on...

Dashboard

Login using...

Shawn Bengtson

Office Broker - DRE 01236964

  • Office 760-805-7199
Questions?

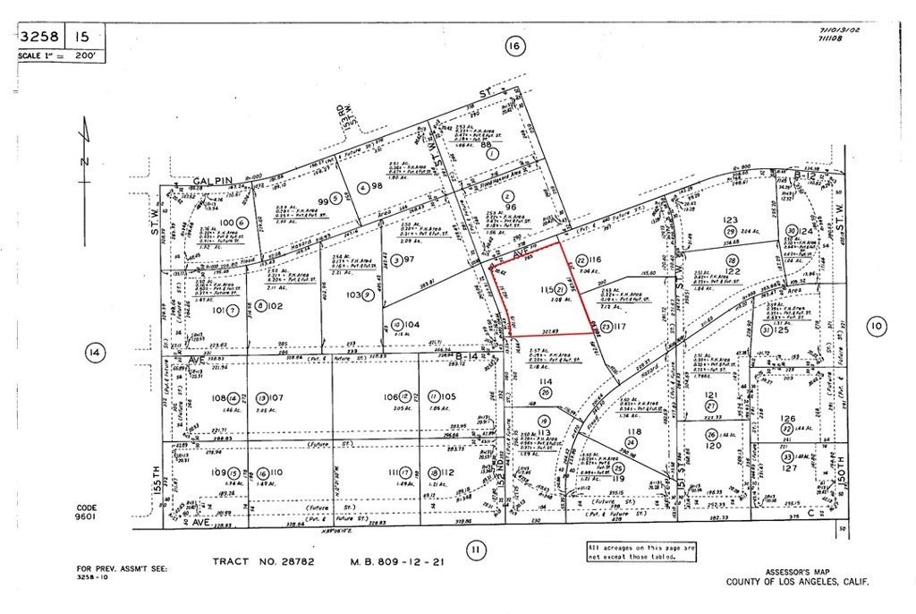
115 West B-12 Avenue, Fairmont – $7,950

  • $8k Price
  • 2.51 Acres
  • 123 DOM
  • $8k Price
  • 2.51 Acres
  • 123 DOM

115 West B-12 Avenue

Explore the charm and potential of this 2.51-acre parcel (APN: 3258-015-021) in the scenic Fairmont area of Antelope Valley. Conveniently located west of State Route 14 and Sierra Highway, and less than 1.5 miles north of SR-138, this property combines accessibility with a peaceful, open setting. Nestled along Avenue B-12 WEST between 150th Street West and 155th Street West, it offers sweeping desert and mountain views, creating an ideal backdrop for your vision. Surrounded by several solar farms, the area is well suited for renewable energy development or other ventures that take advantage of its year-round sunshine. Whether you’re looking to invest, build, or simply enjoy the tranquility of the high desert, this parcel provides a versatile canvas for your plans. Discover the opportunity that awaits in Fairmont today!

Essential Information

  • MLS® #OC25248189
  • Price$7,950
  • Bathrooms0.00
  • Acres2.51
  • TypeLand
  • StatusActive

Community Information

  • Address115 West B-12 Avenue
  • AreaFAIR - Fairmont
  • CityFairmont
  • CountyLos Angeles
  • Zip Code93536

Amenities

  • ViewDesert

Exterior

Lot Description

Lot Over 40000 Sqft, Level, Rectangular Lot, Street Level

Additional Information

  • Date ListedOctober 14th, 2025
  • Days on Market123
  • ZoningLCA12*

Listing Details

  • AgentScott Vu
  • OfficeNexus Commercial
Please provide a valid email address.

Price Change History for 115 West B-12 Avenue, Fairmont, (MLS® #OC25248189)

Date Details Change
Price Reduced from $9,500 to $7,950 $1,550 (16.32%)

Scott Vu, Nexus Commercial.

Based on information from California Regional Multiple Listing Service, Inc. as of February 27th, 2026 at 12:15am PST. This information is for your personal, non-commercial use and may not be used for any purpose other than to identify prospective properties you may be interested in purchasing. Display of MLS data is usually deemed reliable but is NOT guaranteed accurate by the MLS. Buyers are responsible for verifying the accuracy of all information and should investigate the data themselves or retain appropriate professionals. Information from sources other than the Listing Agent may have been included in the MLS data. Unless otherwise specified in writing, Broker/Agent has not and will not verify any information obtained from other sources. The Broker/Agent providing the information contained herein may or may not have been the Listing and/or Selling Agent.