Connect

Find us on...

Dashboard

Login using...

Shawn Bengtson

Office Broker - DRE 01236964

  • Office 760-805-7199
Questions?

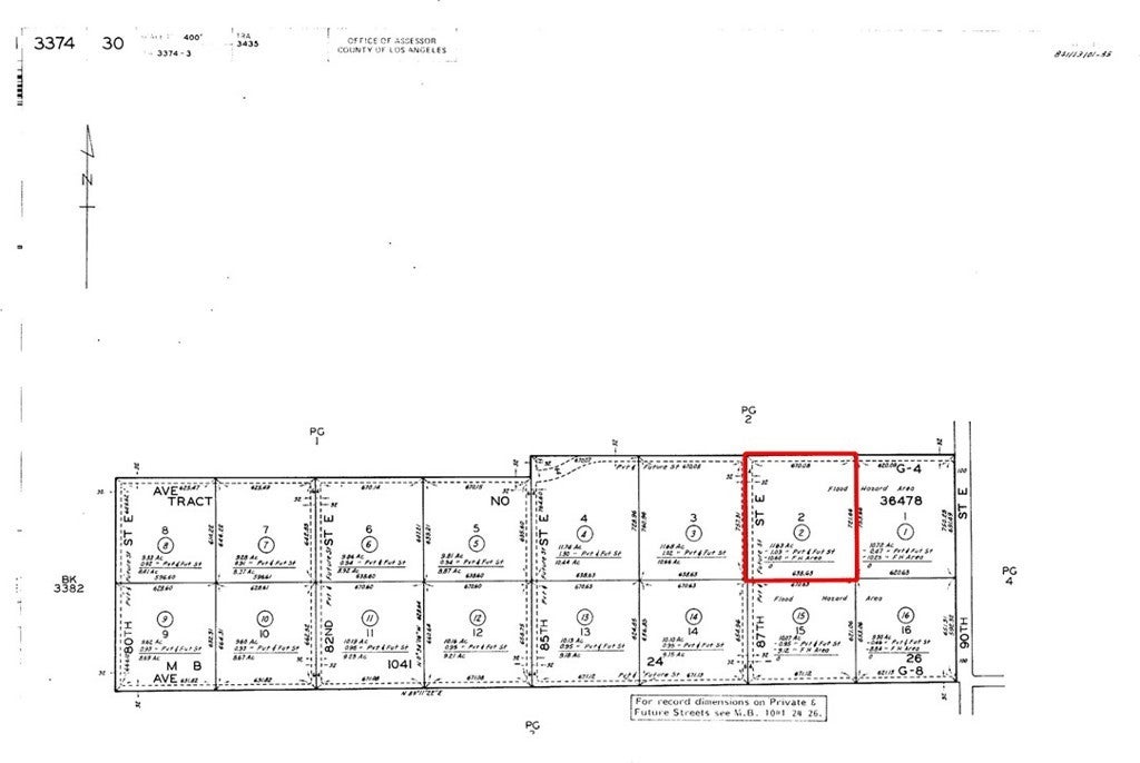
10000 E 87th Street, Lancaster – $39,500

  • $39.5k Price
  • 11.63 Acres
  • 29 DOM
  • $39.5k Price
  • 11.63 Acres
  • 29 DOM

10000 E 87th Street

Discover the potential of this expansive 11.63-acre parcel, APN: 3374-030-002, Los Angeles County, located near paved 90th Street East and Avenue G-8 in the Roosevelt area of Northeast Lancaster. Surrounded by large, established farms, this property offers a wide-open setting ideal for agriculture, recreation, or long-term investment. Private roads are planned for 87th Street, creating future access opportunities and enhancing long-term value. With level terrain and proximity to nearby paved roads, the land provides a versatile canvas in a growing and opportunity-rich region of the Antelope Valley. Whether you’re looking to expand farming operations, create a rural retreat, or secure land for future development, this generous acreage delivers space, privacy, and strong potential. Please use neighbor's address, 8857 E Avenue G12, Lancaster, CA 93535 to get to the lot, GPS SE corner coordinates: 34.728741, -117.972087.

Essential Information

  • MLS® #OC25262905
  • Price$39,500
  • Bathrooms0.00
  • Acres11.63
  • TypeLand
  • StatusActive

Community Information

  • Address10000 E 87th Street
  • AreaLAC - Lancaster
  • CityLancaster
  • CountyLos Angeles
  • Zip Code93535

Amenities

  • ViewDesert

Exterior

Lot Description

Desert Back, Desert Front, Lot Over 40000 Sqft, Level, Rectangular Lot

Additional Information

  • Date ListedNovember 13th, 2025
  • Days on Market29
  • ZoningLCA21*

Listing Details

  • AgentScott Vu
  • OfficeNexus Commercial
Please provide a valid email address.

Scott Vu, Nexus Commercial.

Based on information from California Regional Multiple Listing Service, Inc. as of December 17th, 2025 at 9:30am PST. This information is for your personal, non-commercial use and may not be used for any purpose other than to identify prospective properties you may be interested in purchasing. Display of MLS data is usually deemed reliable but is NOT guaranteed accurate by the MLS. Buyers are responsible for verifying the accuracy of all information and should investigate the data themselves or retain appropriate professionals. Information from sources other than the Listing Agent may have been included in the MLS data. Unless otherwise specified in writing, Broker/Agent has not and will not verify any information obtained from other sources. The Broker/Agent providing the information contained herein may or may not have been the Listing and/or Selling Agent.