Connect

Find us on...

Dashboard

Login using...

Shawn Bengtson

Office Broker - DRE 01236964

  • Office 760-805-7199
Questions?

Vac/cor #d/100, Antelope Acres – $35,000

  • $35k Price
  • 2.14 Acres
  • 38 DOM
  • $35k Price
  • 2.14 Acres
  • 38 DOM

Vac/cor #d/100

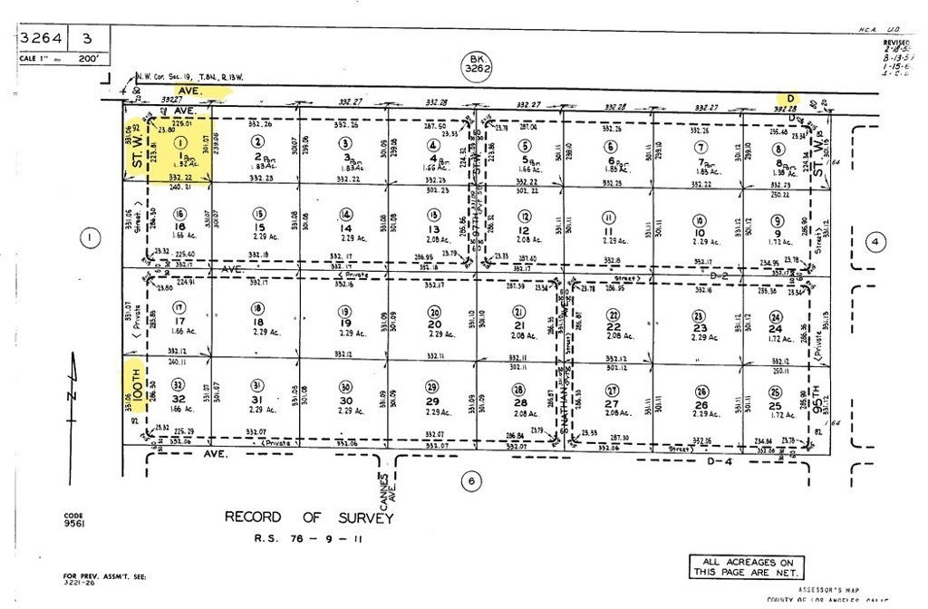
Here is a fantastic opportunity to own a corner lot boasting 2.14 acres of beautiful, flat, and completely usable land, perfectly situated in the desirable Antelope Acres community, conveniently located in Lancaster. Imagine the possibilities – this exceptional parcel provides the perfect canvas to construct your dream home while still having ample space for those with an interest in pursuing potential farming endeavors or simply enjoying the expansive open space. Located in the corner of W Ave D and 100th Street W.

Essential Information

  • MLS® #OC26001109
  • Price$35,000
  • Bathrooms0.00
  • Acres2.14
  • TypeLand
  • StatusActive

Community Information

  • AddressVac/cor #d/100
  • AreaANTA - Antelope Acres
  • CityAntelope Acres
  • CountyLos Angeles
  • Zip Code93536

Amenities

  • ViewDesert

Exterior

  • Lot DescriptionCorner Lot, TwoToFiveUnitsAcre

Additional Information

  • Date ListedJanuary 3rd, 2026
  • Days on Market38
  • ZoningLCA11*

Listing Details

  • AgentLupita Pena
  • OfficeLupita Pena, Broker
Please provide a valid email address.

Lupita Pena, Lupita Pena, Broker.

Based on information from California Regional Multiple Listing Service, Inc. as of February 10th, 2026 at 6:26am PST. This information is for your personal, non-commercial use and may not be used for any purpose other than to identify prospective properties you may be interested in purchasing. Display of MLS data is usually deemed reliable but is NOT guaranteed accurate by the MLS. Buyers are responsible for verifying the accuracy of all information and should investigate the data themselves or retain appropriate professionals. Information from sources other than the Listing Agent may have been included in the MLS data. Unless otherwise specified in writing, Broker/Agent has not and will not verify any information obtained from other sources. The Broker/Agent providing the information contained herein may or may not have been the Listing and/or Selling Agent.