Connect

Find us on...

Dashboard

Login using...

Shawn Bengtson

Office Broker - DRE 01236964

  • Office 760-805-7199
Questions?

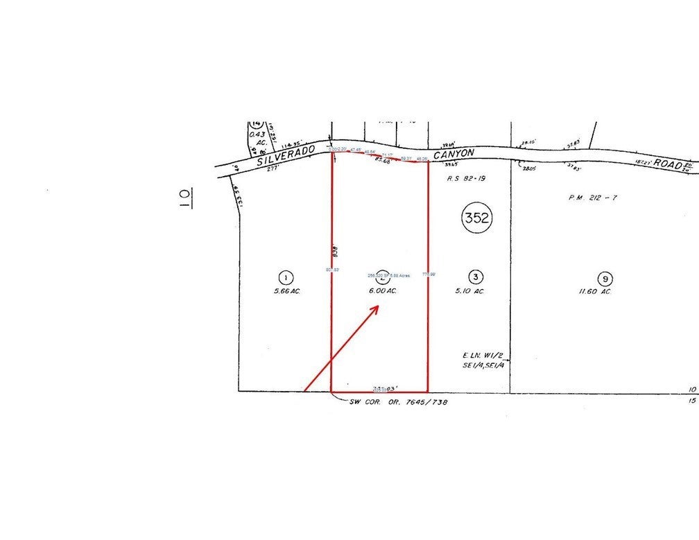
30792 Silverado Canyon, Silverado Canyon – $175,000

  • $175k Price
  • 6 Acres
  • 32 DOM
  • $175k Price
  • 6 Acres
  • 32 DOM

30792 Silverado Canyon

Rare opportunity to own approximately 6 acres (261,360 sq ft) of prime land in the scenic heart of Silverado Canyon. Located directly across from Silverado Creek along paved Silverado Canyon Road, this expansive parcel offers beautiful mature trees, natural terrain, and picturesque canyon and creek views. Situated in an unincorporated area of Orange County, the property is zoned Agricultural Rural and falls within the Silverado Modjeska Specific Plan, which outlines development standards and building requirements designed to preserve the canyon’s rural character. This zoning and plan designation allow for a variety of potential uses, including the development of a custom single-family residence, subject to County approval. With a minimum 4-acre requirement for certain residential and agricultural uses, this 6-acre parcel exceeds the size threshold, offering flexibility for a private estate, equestrian facilities, hobby farm, or additional structures. The property backs to Cleveland National Forest, providing exceptional privacy, open space, and direct access to miles of hiking and nature. A truly unique setting that combines rural tranquility with accessibility. Large, agriculturally zoned parcels of this size in Orange County are rarely available. A remarkable opportunity to create your custom canyon retreat.

Essential Information

  • MLS® #OC26032916
  • Price$175,000
  • Bathrooms0.00
  • Acres6.00
  • TypeLand
  • StatusActive

Community Information

  • Address30792 Silverado Canyon
  • AreaSI - Silverado Canyon
  • SubdivisionSilverado (SC)
  • CitySilverado Canyon
  • CountyOrange
  • Zip Code92676

Amenities

Utilities

Electricity Available, Water Available, Water Not Available

View

Hills, Mountain(s), Panoramic, Trees/Woods, Water

Exterior

Lot Description

SixToTenUnitsAcre, Agricultural, Lot Over 40000 Sqft, Value In Land

Additional Information

  • Date ListedFebruary 7th, 2026
  • Days on Market32
  • ZoningA1

Listing Details

  • AgentKevin Phan
  • OfficeLegacy 15 Real Estate Brokers
Please provide a valid email address.

Kevin Phan, Legacy 15 Real Estate Brokers.

Based on information from California Regional Multiple Listing Service, Inc. as of March 17th, 2026 at 12:50am PDT. This information is for your personal, non-commercial use and may not be used for any purpose other than to identify prospective properties you may be interested in purchasing. Display of MLS data is usually deemed reliable but is NOT guaranteed accurate by the MLS. Buyers are responsible for verifying the accuracy of all information and should investigate the data themselves or retain appropriate professionals. Information from sources other than the Listing Agent may have been included in the MLS data. Unless otherwise specified in writing, Broker/Agent has not and will not verify any information obtained from other sources. The Broker/Agent providing the information contained herein may or may not have been the Listing and/or Selling Agent.