Connect

Find us on...

Dashboard

Login using...

Shawn Bengtson

Office Broker - DRE 01236964

  • Office 760-805-7199
Questions?

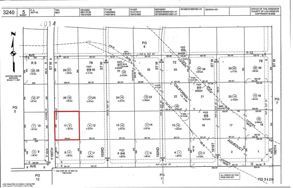
10000 195th Street W, Lancaster – $14,500

  • $14.5k Price
  • 2.24 Acres
  • 7 DOM
  • $14.5k Price
  • 2.24 Acres
  • 7 DOM

10000 195th Street W

Discover the opportunity to own 2.245 acres in the well-known and scenic Bleich Canyon area of West Lancaster. This vacant parcel offers an impressive 336 feet of frontage along 195th Street West and extends approximately 291 feet deep, providing a spacious and versatile layout ideal for your future plans. Located near the California Aqueduct, this property sits in a peaceful desert setting known for its open landscapes, rolling canyon views, and wide skies. The area is popular with those seeking privacy, recreation, and a break from the city while still maintaining reasonable access to nearby amenities in Lancaster and the Antelope Valley. Whether you're looking to build a custom home, establish a weekend retreat, or secure a long-term land investment, this parcel offers room to grow and flexibility to design your vision. With generous frontage and acreage, there’s ample space for a home, workshop, storage, animals, or off-road recreation. Take advantage of this rare opportunity to own land in the desirable Bleich Canyon area where tranquility, space, and potential come together. To locate the parcel, please use the down-the-street neighbor's address, 19460 Lancaster Rd, Lancaster, CA 93536; then use the following NW corner coordinates: 34.732999, -118.475020

Essential Information

  • MLS® #OC26041368
  • Price$14,500
  • Bathrooms0.00
  • Acres2.24
  • TypeLand
  • StatusActive

Community Information

  • Address10000 195th Street W
  • AreaLAC - Lancaster
  • CityLancaster
  • CountyLos Angeles
  • Zip Code93536

Amenities

  • ViewCanyon, Desert, Canal

Exterior

Lot Description

Desert Back, Lot Over 40000 Sqft, Level, Rectangular Lot, Rocks, Desert Front

Additional Information

  • Date ListedFebruary 24th, 2026
  • Days on Market7
  • ZoningLCA221/2

Listing Details

  • AgentScott Vu
  • OfficeNexus Commercial
Please provide a valid email address.

Scott Vu, Nexus Commercial.

Based on information from California Regional Multiple Listing Service, Inc. as of March 3rd, 2026 at 7:40pm PST. This information is for your personal, non-commercial use and may not be used for any purpose other than to identify prospective properties you may be interested in purchasing. Display of MLS data is usually deemed reliable but is NOT guaranteed accurate by the MLS. Buyers are responsible for verifying the accuracy of all information and should investigate the data themselves or retain appropriate professionals. Information from sources other than the Listing Agent may have been included in the MLS data. Unless otherwise specified in writing, Broker/Agent has not and will not verify any information obtained from other sources. The Broker/Agent providing the information contained herein may or may not have been the Listing and/or Selling Agent.