Connect

Find us on...

Dashboard

Login using...

Shawn Bengtson

Office Broker - DRE 01236964

  • Office 760-805-7199
Questions?

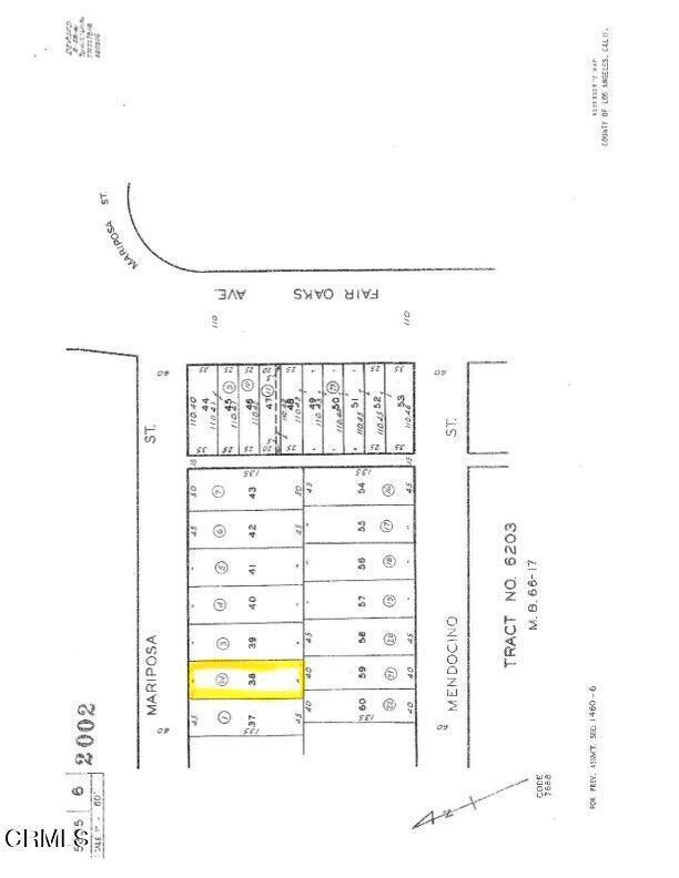
64 W Mariposa Street, Altadena – $429,000

  • $429k Price
  • .14 Acres
  • 173 DOM
  • $429k Price
  • .14 Acres
  • 173 DOM

64 W Mariposa Street

Located just west of Fair Oaks Avenue, this lot presents an excellent opportunity to construct a new home on a flat parcel measuring 5,983 square feet. According to public records, it was previously home to a 720 square foot residence featuring 2 bedrooms and 1 bathroom. The property is in close proximity to local trails and parks including Charles Farnsworth Park, which offers amenities such as pickleball, tennis, and more. Both phases I and II of the property cleanup and debris removal are now complete. Buyers should independently verify all zoning, permitting and rebuilding requirements with Los Angeles County and verify status of utilities with local providers. Buyers are responsible for conducting their own investigations to satisfy themselves regarding future development, ability to add units, required lot size, environmental toxicity, community and neighborhood designation, zoning and taxes. Call for more information.

Essential Information

  • MLS® #P1-22766
  • Price$429,000
  • Bathrooms0.00
  • Acres0.14
  • TypeLand
  • StatusActive Under Contract

Community Information

  • Address64 W Mariposa Street
  • Area604 - Altadena
  • SubdivisionNot Applicable
  • CityAltadena
  • CountyLos Angeles
  • Zip Code91001

Amenities

  • ViewNone

Utilities

Cable Available, Electricity Available, Natural Gas Available, Sewer Available, Water Available

Exterior

  • Lot DescriptionLevel, Sprinklers None

Additional Information

  • Date ListedJune 16th, 2025
  • Days on Market173
  • ZoningLCR175

Listing Details

  • AgentJim Rock
  • OfficeCOMPASS
Please provide a valid email address.

Price Change History for 64 W Mariposa Street, Altadena, (MLS® #P1-22766)

Date Details Change
Status Changed from Active to Active Under Contract

Jim Rock, COMPASS.

Based on information from California Regional Multiple Listing Service, Inc. as of December 6th, 2025 at 1:26pm PST. This information is for your personal, non-commercial use and may not be used for any purpose other than to identify prospective properties you may be interested in purchasing. Display of MLS data is usually deemed reliable but is NOT guaranteed accurate by the MLS. Buyers are responsible for verifying the accuracy of all information and should investigate the data themselves or retain appropriate professionals. Information from sources other than the Listing Agent may have been included in the MLS data. Unless otherwise specified in writing, Broker/Agent has not and will not verify any information obtained from other sources. The Broker/Agent providing the information contained herein may or may not have been the Listing and/or Selling Agent.