Connect

Find us on...

Dashboard

Login using...

Shawn Bengtson

Office Broker - DRE 01236964

  • Office 760-805-7199
Questions?

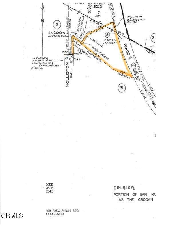
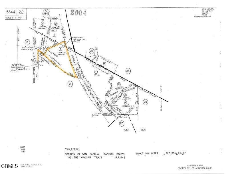
2880 Holliston Avenue, Altadena – $845,000

  • $845k Price
  • .73 Acres
  • 130 DOM
  • $845k Price
  • .73 Acres
  • 130 DOM

2880 Holliston Avenue

An exceptional Altadena opportunity, situated on a private Street one of Altadena's most highly desirable neighborhoods. This sprawling 31,757 square foot parcel invites you to create your dream home, surrounded by mature trees and offering stunning views of the San Gabriel Mountains , city lights and beautiful Sunsets. Positioned at the end of a serene cul-de-sac with only two other lots, it previously was the site of a 2,812 square foot residence. This prime Altadena location combines a sense of seclusion with endless potential, providing a unique chance to embrace tranquility and natural beauty. Don't miss this opportunity!Both phases I and II of the property cleanup and debris removal are now complete. Buyers should independently verify all zoning, permitting and rebuilding requirements with Los Angeles County and verify status of utilities with local providers. Buyers are responsible for conducting their own investigations to satisfy themselves regarding future development, ability to add units, required lot size, environmental toxicity, community and neighborhood designation, zoning and taxes. Call for more information.

Essential Information

  • MLS® #P1-23602
  • Price$845,000
  • Bathrooms0.00
  • Acres0.73
  • TypeLand
  • StatusActive

Community Information

  • Address2880 Holliston Avenue
  • Area604 - Altadena
  • SubdivisionNot Applicable
  • CityAltadena
  • CountyLos Angeles
  • Zip Code91001

Amenities

Utilities

Cable Available, Electricity Available, Natural Gas Available, Water Available, Overhead Utilities

View

City Lights, Hills, Meadow, Mountain(s), Trees/Woods

Exterior

Lot Description

Cul-De-Sac, Sloped Down, Front Yard, Irregular Lot, Rolling Slope, Street Level, Trees, Yard

Additional Information

  • Date ListedAugust 7th, 2025
  • Days on Market130
  • ZoningLCR120000*

Listing Details

  • AgentJim Rock
  • OfficeCOMPASS
Please provide a valid email address.

Jim Rock, COMPASS.

Based on information from California Regional Multiple Listing Service, Inc. as of December 15th, 2025 at 8:30pm PST. This information is for your personal, non-commercial use and may not be used for any purpose other than to identify prospective properties you may be interested in purchasing. Display of MLS data is usually deemed reliable but is NOT guaranteed accurate by the MLS. Buyers are responsible for verifying the accuracy of all information and should investigate the data themselves or retain appropriate professionals. Information from sources other than the Listing Agent may have been included in the MLS data. Unless otherwise specified in writing, Broker/Agent has not and will not verify any information obtained from other sources. The Broker/Agent providing the information contained herein may or may not have been the Listing and/or Selling Agent.