Connect

Find us on...

Dashboard

Login using...

Shawn Bengtson

Office Broker - DRE 01236964

  • Office 760-805-7199
Questions?

740 E Poppyfields Drive, Altadena – $588,000

  • $588k Price
  • .24 Acres
  • 112 DOM
  • $588k Price
  • .24 Acres
  • 112 DOM

740 E Poppyfields Drive

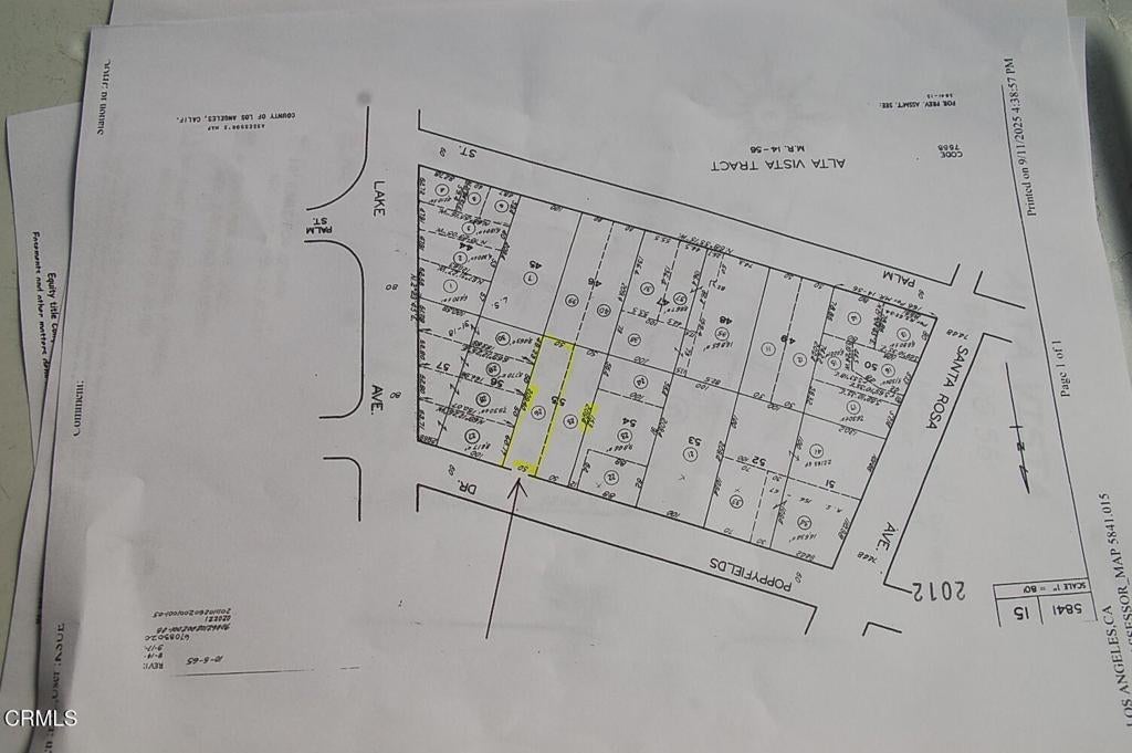
This lot is ideal for future development assessor map shows 50 x 209 nice deep 10,499 foot rectangular lot. located just west of Lake Ave.A savvy contractor after walking the site will notice development possibilities the gentle down slope at street frontage may offer tuck under garages, saving additional lot space to build more structures on. In addition utilizing setbacks may offer a wider house build. County records show what may have been a guest house ?Buyer to verify how many structures may be built on subject property under current code. From street level their are city light & mountain views. Great lot north of Altadena Dr.See attached plot maps adjacent to the blue easement line is aprox 12 foot paved road surface entry off Poppyfields this connects to a 30 ft easement at the south portion of subject property may allow Ingress & Egress separate entry to guest house /ADU at rear of deep lot. Buyer to verify through survey.

Essential Information

  • MLS® #P1-24327
  • Price$588,000
  • Bathrooms0.00
  • Acres0.24
  • TypeLand
  • StatusActive Under Contract

Community Information

  • Address740 E Poppyfields Drive
  • Area604 - Altadena
  • SubdivisionOther
  • CityAltadena
  • CountyLos Angeles
  • Zip Code91001

Amenities

  • ViewNone

Utilities

Sewer Available, Natural Gas Available, Water Available

Exterior

Lot Description

Near Public Transit, Paved, Sprinklers None, Value In Land

Additional Information

  • Date ListedSeptember 30th, 2025
  • Days on Market112
  • ZoningLRC175

Listing Details

  • AgentEddie Kanouse
  • OfficeColdwell Banker Realty
Please provide a valid email address.

Price Change History for 740 E Poppyfields Drive, Altadena, (MLS® #P1-24327)

Date Details Change
Status Changed from Active to Active Under Contract
Price Reduced from $625,000 to $588,000 $37,000 (5.92%)

Eddie Kanouse, Coldwell Banker Realty.

Based on information from California Regional Multiple Listing Service, Inc. as of January 19th, 2026 at 11:15pm PST. This information is for your personal, non-commercial use and may not be used for any purpose other than to identify prospective properties you may be interested in purchasing. Display of MLS data is usually deemed reliable but is NOT guaranteed accurate by the MLS. Buyers are responsible for verifying the accuracy of all information and should investigate the data themselves or retain appropriate professionals. Information from sources other than the Listing Agent may have been included in the MLS data. Unless otherwise specified in writing, Broker/Agent has not and will not verify any information obtained from other sources. The Broker/Agent providing the information contained herein may or may not have been the Listing and/or Selling Agent.