Connect

Find us on...

Dashboard

Login using...

Shawn Bengtson

Office Broker - DRE 01236964

  • Office 760-805-7199
Questions?

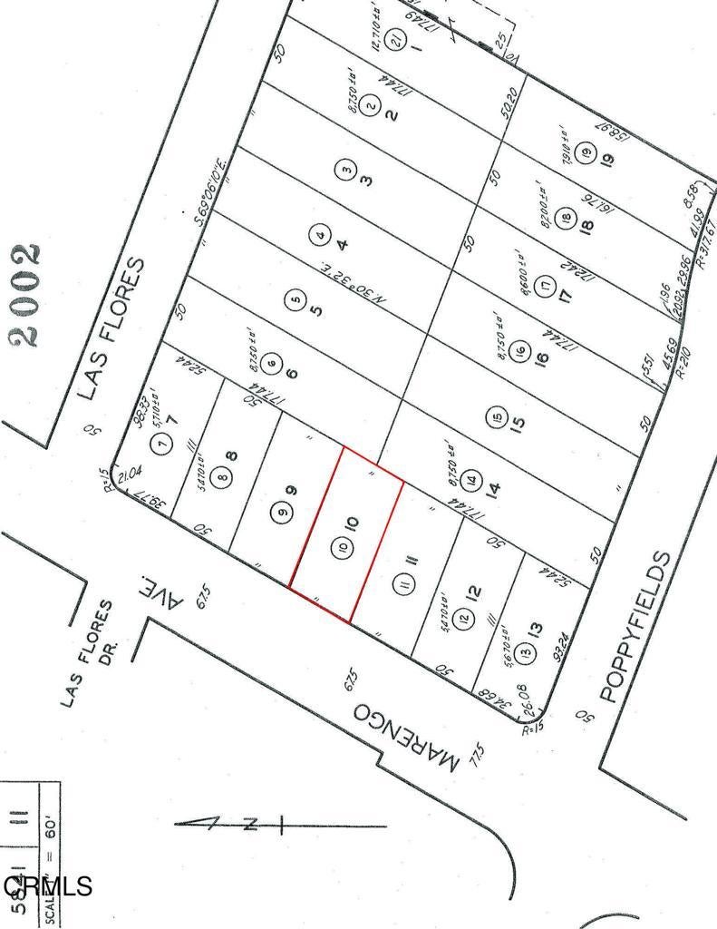
3050 Marengo Avenue, Altadena – $399,000

  • $399k Price
  • .12 Acres
  • 22 DOM
  • $399k Price
  • .12 Acres
  • 22 DOM

3050 Marengo Avenue

Nestled on the east side of Marengo Avenue in a quiet and peaceful Altadena neighborhood, this property enjoys a tranquil setting with lovely views of the San Gabriel Mountains. This 5,398 square foot lot (as per assessor) presents an exceptional opportunity to design and build your dream home in the Altadena community. Once the site of a charming 3-bedroom, 1-bath Jane's Cottage that was lost in the Eaton Fire, the property has since been cleared and is ready for development with Phase 1, Phase 2 and Phase 3 having been completed. The location offers the perfect balance of nature and convenience and is just moments from hiking trails and beautiful parks. It is also highly accessible to Pasadena, downtown Los Angeles and a variety of freeways. A beautiful tribute to this property, the owner's wrote this: 'We know that whoever buys this land and builds their home will feel its magic - the way the mountains embrace you from the backyard, the way the light filters through the trees, and the sound of birds greeting each morning. Letting go isn't easy but we trust that the energy of love and peace we poured into this space will live on - blessing the land, the future home, and all who gather there. Thank you, Jane's Cottage, for all the love, memories and peace you held for us.' As always, Buyer should verify development potential, zoning, and utility access with the appropriate utility

Essential Information

  • MLS® #P1-24837
  • Price$399,000
  • Bathrooms0.00
  • Acres0.12
  • TypeLand
  • StatusActive Under Contract

Community Information

  • Address3050 Marengo Avenue
  • Area604 - Altadena
  • SubdivisionNot Applicable
  • CityAltadena
  • CountyLos Angeles
  • Zip Code91001

Amenities

  • ViewMountain(s)

Exterior

  • Lot DescriptionSprinklers None

Additional Information

  • Date ListedNovember 6th, 2025
  • Days on Market22
  • ZoningLCR175

Listing Details

  • AgentJenan Musulli
  • OfficeColdwell Banker Realty
Please provide a valid email address.

Price Change History for 3050 Marengo Avenue, Altadena, (MLS® #P1-24837)

Date Details Change
Status Changed from Active to Active Under Contract

Jenan Musulli, Coldwell Banker Realty.

Based on information from California Regional Multiple Listing Service, Inc. as of November 28th, 2025 at 3:56am PST. This information is for your personal, non-commercial use and may not be used for any purpose other than to identify prospective properties you may be interested in purchasing. Display of MLS data is usually deemed reliable but is NOT guaranteed accurate by the MLS. Buyers are responsible for verifying the accuracy of all information and should investigate the data themselves or retain appropriate professionals. Information from sources other than the Listing Agent may have been included in the MLS data. Unless otherwise specified in writing, Broker/Agent has not and will not verify any information obtained from other sources. The Broker/Agent providing the information contained herein may or may not have been the Listing and/or Selling Agent.