Connect

Find us on...

Dashboard

Login using...

Shawn Bengtson

Office Broker - DRE 01236964

  • Office 760-805-7199
Questions?

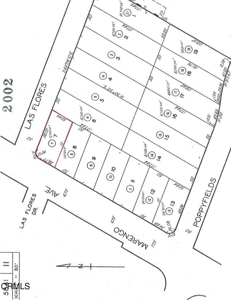
3072 N Marengo Avenue, Altadena – $459,000

  • $459k Price
  • .13 Acres
  • 16 DOM
  • $459k Price
  • .13 Acres
  • 16 DOM

3072 N Marengo Avenue

Once the site of a magical home, that was treasured by the owners for over 20 years before being lost in the Eaton Fire, was a 1,472 square foot Jane's Cottage that was one of the model homes for Jane's Village, back when it was built in 1925. The home featured 3 bedrooms, 1 bathroom and featured a huge basement that was in addition to the assessor's square footage. This corner lot sits at the northeast corner of Marengo Avenue and Las Flores Drive and offers amazing views of the San Gabriel Mountains. This 5,756 square foot lot (as per assessor) has since been cleared and is ready for development with Phase 1 and Phase 2 having been completed. The location offers the perfect balance of nature and convenience and is just moments from hiking trails and parks. It is also highly accessible to Pasadena, downtown Los Angeles and a variety of freeways. Whether envisioning your dream home or seeking an investment in one of Southern California's most coveted foothill communities, this property presents an exceptional opportunity. As always, should verify development potential, zoning, and utility access with the appropriate utility companies and the County of Los Angeles. Please drive by only and no trespassing onto the property please.

Essential Information

  • MLS® #P1-24917
  • Price$459,000
  • Bathrooms0.00
  • Acres0.13
  • TypeLand
  • StatusActive

Community Information

  • Address3072 N Marengo Avenue
  • Area604 - Altadena
  • SubdivisionNot Applicable
  • CityAltadena
  • CountyLos Angeles
  • Zip Code91001

Amenities

  • ViewMountain(s)

Exterior

  • Lot DescriptionSprinklers None

Additional Information

  • Date ListedNovember 12th, 2025
  • Days on Market16
  • ZoningLCR175

Listing Details

  • AgentJenan Musulli
  • OfficeColdwell Banker Realty
Please provide a valid email address.

Jenan Musulli, Coldwell Banker Realty.

Based on information from California Regional Multiple Listing Service, Inc. as of November 27th, 2025 at 8:26pm PST. This information is for your personal, non-commercial use and may not be used for any purpose other than to identify prospective properties you may be interested in purchasing. Display of MLS data is usually deemed reliable but is NOT guaranteed accurate by the MLS. Buyers are responsible for verifying the accuracy of all information and should investigate the data themselves or retain appropriate professionals. Information from sources other than the Listing Agent may have been included in the MLS data. Unless otherwise specified in writing, Broker/Agent has not and will not verify any information obtained from other sources. The Broker/Agent providing the information contained herein may or may not have been the Listing and/or Selling Agent.