Connect

Find us on...

Dashboard

Login using...

Shawn Bengtson

Office Broker - DRE 01236964

  • Office 760-805-7199
Questions?

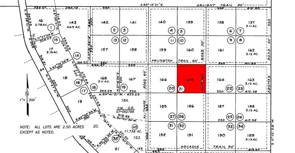
14731 Arlington Trail, Santa Margarita – $10,000

  • $10k Price
  • Acres
  • 36 DOM
  • $10k Price
  • Acres
  • 36 DOM

14731 Arlington Trail

2.50 Acre FAR EAST CORNER lot = build two Homes. FENCED ON EAST SIDE OF LOT. The Amazing 360° views will astonish you from this Fantastic location close to Elkhorn Rd for easy access and only 30 minutes to Grocery Story in McKittrick. Hunt in the nearby BLM Hills apx. 2000 feet from the lot and walking distance to trials that allow you to Ride a Horse, Hike, or drive off-road Motorcycles or ATVs. VERY DARK SOIL AND GRASSES are an indication of great water. Great for a vacation getaway or build your dream home. Bring your cows, goats, and chickens. Manufactured homes okay. **ADDRESS NUMBER IS ESTIMATED & NOT EXACT. Contact agent for precise maps and directions. 35.297864, -119.847889 APN: 084-071-021

Essential Information

  • MLS® #PI26016408
  • Price$10,000
  • Bathrooms0.00
  • Acres2.50
  • TypeLand
  • StatusActive

Community Information

  • Address14731 Arlington Trail
  • AreaSMRG - Santa Margarita
  • CitySanta Margarita
  • CountySan Luis Obispo
  • Zip Code93453

Subdivision

Carrizo Plains/California Valley(62)

Amenities

  • ViewMountain(s), Panoramic, Hills

Utilities

Electricity Available, Phone Available, Water Available, Sewer Not Available

Exterior

Lot Description

0-1 Unit/Acre, 2-5 Units/Acre, Corner Lot, Horse Property

Additional Information

  • Date ListedJanuary 22nd, 2026
  • Days on Market36
  • ZoningRS

Listing Details

  • AgentDavid Norwood

Office

David Norwood Central Coast Real Estate

Please provide a valid email address.

David Norwood, David Norwood Central Coast Real Estate.

Based on information from California Regional Multiple Listing Service, Inc. as of February 28th, 2026 at 7:15pm PST. This information is for your personal, non-commercial use and may not be used for any purpose other than to identify prospective properties you may be interested in purchasing. Display of MLS data is usually deemed reliable but is NOT guaranteed accurate by the MLS. Buyers are responsible for verifying the accuracy of all information and should investigate the data themselves or retain appropriate professionals. Information from sources other than the Listing Agent may have been included in the MLS data. Unless otherwise specified in writing, Broker/Agent has not and will not verify any information obtained from other sources. The Broker/Agent providing the information contained herein may or may not have been the Listing and/or Selling Agent.