Connect

Find us on...

Dashboard

Login using...

Shawn Bengtson

Office Broker - DRE 01236964

  • Office 760-805-7199
Questions?

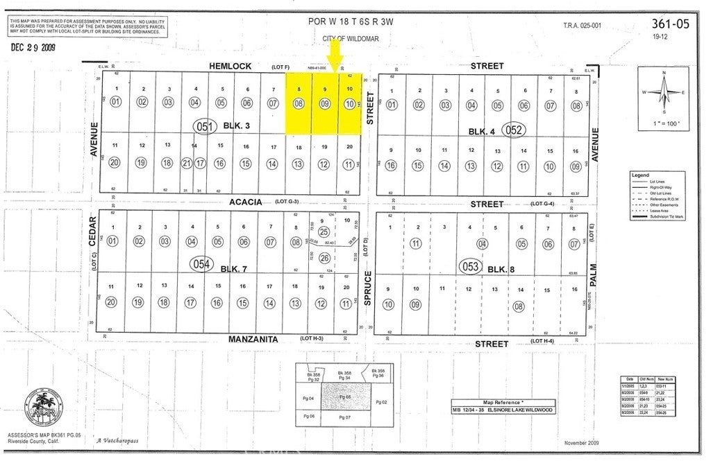
0 B Hemlock Street, Wildomar – $70,200

  • $70.2k Price
  • .61 Acres
  • 160 DOM
  • $70.2k Price
  • .61 Acres
  • 160 DOM

0 B Hemlock Street

Exciting new listing! Offering a collection of 3 contiguous lots in the growing city of Wildomar, in Riverside County. Located north of the 15 Freeway and Cottonwood Canyon Road, at Hemlock St., Power is nearby the topography varies from flat to gently rolling, offering scenic views and flexible development potential. Short drive to I-15, I-215, and Hwy 74, Proximity to Loma Linda University Medical Center, Mt. San Jacinto College, shopping centers, and schools. Located near Canyon Lake, Menifee, and Lake Elsinore. Whether you’re looking to develop one home or invest in multiple parcels, this is an excellent opportunity in one of Southern California’s fastest-growing regions. Enjoy privacy, convenience, and beautiful surroundings, not quite off the grid, but close to nature. Buyer to verify land use and development potential with the City of Wildomar Planning Department. APN: 361-051-008 ; 361-051-009; 361-051-010 ; Size: 25,600,000 S.F ; Zoning: RR ; Terrain: Flat to rolling ; GPS: 33.655924, -117.234504 (N.W Corner)

Essential Information

  • MLS® #PW25167622
  • Price$70,200
  • Bathrooms0.00
  • Acres0.61
  • TypeLand
  • StatusActive

Community Information

  • Address0 B Hemlock Street
  • Area699 - Not Defined
  • CityWildomar
  • CountyRiverside
  • Zip Code92584

Amenities

  • ViewHills, Neighborhood, Panoramic

Additional Information

  • Date ListedJuly 24th, 2025
  • Days on Market160
  • ZoningR-R

Listing Details

  • AgentAmir Maloumi
  • OfficeFirst Team Real Estate
Please provide a valid email address.

Price Change History for 0 B Hemlock Street, Wildomar, (MLS® #PW25167622)

Date Details Change
Price Reduced from $78,000 to $70,200 $7,800 (10.00%)

Amir Maloumi, First Team Real Estate.

Based on information from California Regional Multiple Listing Service, Inc. as of January 1st, 2026 at 1:20pm PST. This information is for your personal, non-commercial use and may not be used for any purpose other than to identify prospective properties you may be interested in purchasing. Display of MLS data is usually deemed reliable but is NOT guaranteed accurate by the MLS. Buyers are responsible for verifying the accuracy of all information and should investigate the data themselves or retain appropriate professionals. Information from sources other than the Listing Agent may have been included in the MLS data. Unless otherwise specified in writing, Broker/Agent has not and will not verify any information obtained from other sources. The Broker/Agent providing the information contained herein may or may not have been the Listing and/or Selling Agent.