Connect

Find us on...

Dashboard

Login using...

Shawn Bengtson

Office Broker - DRE 01236964

  • Office 760-805-7199
Questions?

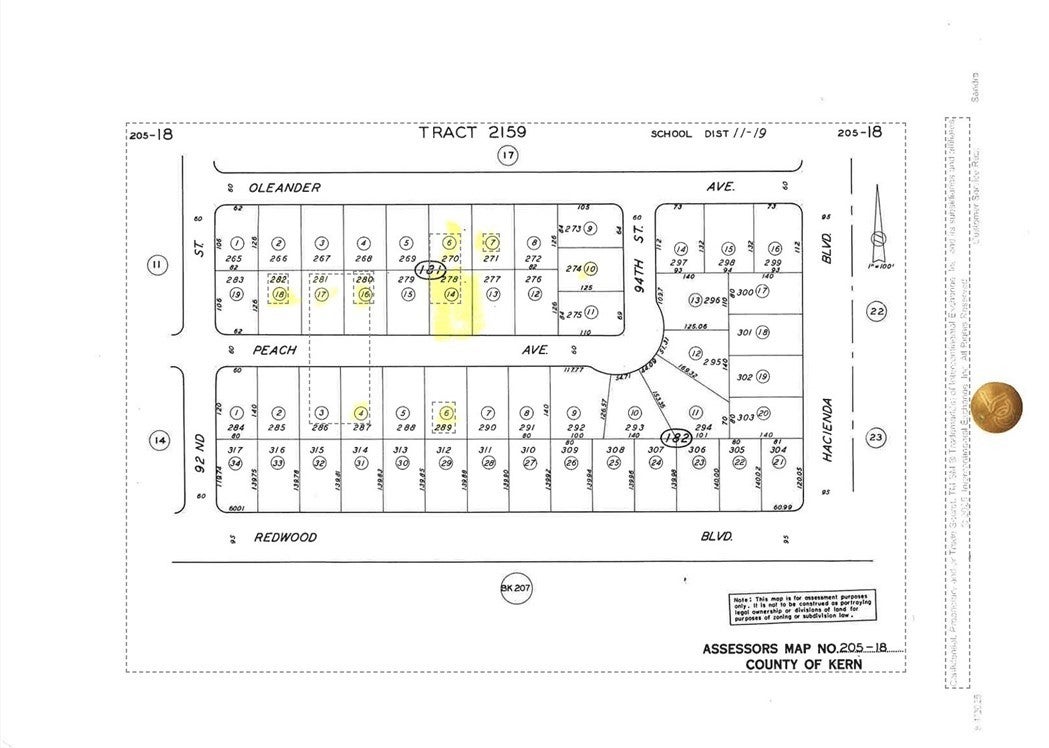
Peach Avenue, California City – $18,500

  • $18.5k Price
  • .24 Acres
  • 77 DOM
  • $18.5k Price
  • .24 Acres
  • 77 DOM

Peach Avenue

Great California City parcel, ready for your new home plans. Slightly more than 10,000 square feet in the lot which is zoned R1. Notice that homes are present on this paved street. The city indicates utilities are available in or at the street. Buyer to satisfy themselves with such information available from City Building & Planning Departments. There are several completed constructions on Peach Ave. which include two lots over, the house behind the subject but on Oleander, and the house across the street on Peach. Planning indicates no sewer in the street. Plan on septic. City water available. Police & fire are available at this address. Waste Management is a local third party that handles trash needs for the area. The Unified School District Offices are on Redwood a couple of blocks away. Location of this lot is across the street from the home at 9300 Peach Ave. The property at 9300 Oleander Ave. backs to this lot.

Essential Information

  • MLS® #PW25188391
  • Price$18,500
  • Bathrooms0.00
  • Acres0.24
  • TypeLand
  • StatusActive

Community Information

  • AddressPeach Avenue
  • AreaCAC - California City
  • CityCalifornia City
  • CountyKern
  • Zip Code93505

Amenities

  • ViewNone

Utilities

Electricity Available, Other, See Remarks, Water Available, Sewer Not Available

Exterior

  • Lot DescriptionRectangular Lot, Value In Land

Additional Information

  • Date ListedSeptember 29th, 2025
  • Days on Market77
  • ZoningR1

Listing Details

  • AgentMarsha Keeney

Office

Berkshire Hathaway HomeServices California Properties

Please provide a valid email address.

Marsha Keeney, Berkshire Hathaway HomeServices California Properties.

Based on information from California Regional Multiple Listing Service, Inc. as of December 15th, 2025 at 4:55pm PST. This information is for your personal, non-commercial use and may not be used for any purpose other than to identify prospective properties you may be interested in purchasing. Display of MLS data is usually deemed reliable but is NOT guaranteed accurate by the MLS. Buyers are responsible for verifying the accuracy of all information and should investigate the data themselves or retain appropriate professionals. Information from sources other than the Listing Agent may have been included in the MLS data. Unless otherwise specified in writing, Broker/Agent has not and will not verify any information obtained from other sources. The Broker/Agent providing the information contained herein may or may not have been the Listing and/or Selling Agent.