Connect

Find us on...

Dashboard

Login using...

Shawn Bengtson

Office Broker - DRE 01236964

  • Office 760-805-7199
Questions?

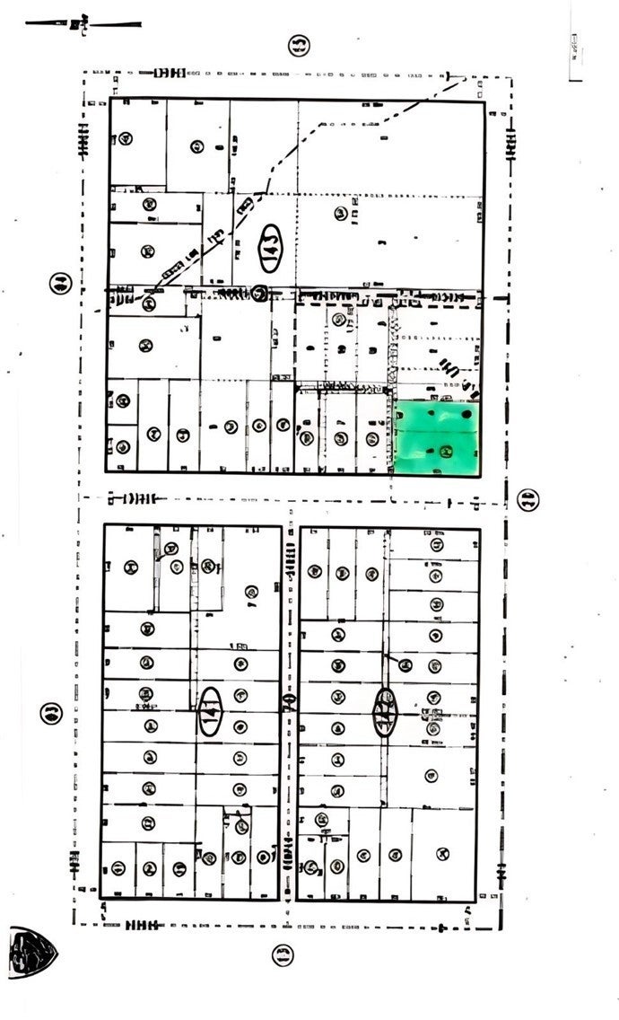
901 N F Street, San Bernardino – $295,000

  • $295k Price
  • .39 Acres
  • 136 DOM
  • $295k Price
  • .39 Acres
  • 136 DOM

901 N F Street

The subject is a level, 16,901 square foot corner parcel in a convenient location just north of downtown San Bernardino. The property is located on the northeast corner of 9th and F Streets, just three blocks east of the Interstate 215 Freeway. There is a 9th Street overpass over the Freeway, allowing 9th Street to serve as a busy east-west traffic street through the city. The property has approximately 125 and 135 linear feet on 9th Street and F Street, respectively. The parcel is zoned Commercial--General 1 (CG-1), which allows, with an administrative or development permit, the construction of certain retail stores and medical facilities, office buildings, recreational facilities, new vehicle sales lots and a wide range of other commercial uses. Other uses including liquor/convenience stores, drive-through restaurants, used vehicle sales lots and residential care facilities may be developed subject to the developer obtaining a conditional use permit. The commercially-zoned parcel to the east of the subject may be available for purchase, allowing a developer the opportunity for an expanded development. The popular city-owned Bryce E. Hanes Park is approximately 200 feet to the east of the subject. The property was formerly improved with a religious building which was demolished and the parcel was fully-remediated. There are utilities to the parcel. San Bernardino, with a population of 225,000, is strategically-located between the Interstate 10, 210 and 215 Freeways, all of which are major transportation corridors throughout the Inland Empire. The city is the county seat for San Bernardino County, which has a population of over 2,225,000. It is a gateway to the many recreation areas in the San Bernardino National Forest, including Crestline, Lake Arrowhead and Big Bear Lake. Interstate 215 connects north of the subject to Interstate 15, which is the major freeway leading to Victorville and Las Vegas. Interstate 10 is a major route to Palm Springs and the Coachella Valley. San Bernardino International Airports is located less than three miles to the southeast of the subject. The subject is located in a Federal Opportunity Zone, which allows an investor significant income tax benefits. With a minimal down payment, the Seller has offered to carry a promissory note secured by a first deed of trust on the property. The Seller will also consider accepting a trade for a portion or all of the purchase price.

Essential Information

  • MLS® #PW25215885
  • Price$295,000
  • Bathrooms0.00
  • Acres0.39
  • TypeLand
  • StatusActive

Community Information

  • Address901 N F Street
  • Area274 - San Bernardino
  • CitySan Bernardino
  • CountySan Bernardino
  • Zip Code92410

Amenities

  • ViewNone

Utilities

Electricity Connected, Natural Gas Connected, Phone Available, Sewer Connected, Water Connected, Overhead Utilities

Exterior

Lot Description

Near Park, Rectangular Lot, Street Level, Level, Corner Lot, Near Public Transit, No Landscaping, Over 40 Units/Acre

Additional Information

  • Date ListedSeptember 11th, 2025
  • Days on Market136
  • ZoningCG-1

Listing Details

  • AgentCarl Reinhart
  • OfficeCarl Reinhart, Broker
Please provide a valid email address.

Carl Reinhart, Carl Reinhart, Broker.

Based on information from California Regional Multiple Listing Service, Inc. as of January 27th, 2026 at 4:30am PST. This information is for your personal, non-commercial use and may not be used for any purpose other than to identify prospective properties you may be interested in purchasing. Display of MLS data is usually deemed reliable but is NOT guaranteed accurate by the MLS. Buyers are responsible for verifying the accuracy of all information and should investigate the data themselves or retain appropriate professionals. Information from sources other than the Listing Agent may have been included in the MLS data. Unless otherwise specified in writing, Broker/Agent has not and will not verify any information obtained from other sources. The Broker/Agent providing the information contained herein may or may not have been the Listing and/or Selling Agent.