Connect

Find us on...

Dashboard

Login using...

Shawn Bengtson

Office Broker - DRE 01236964

  • Office 760-805-7199
Questions?

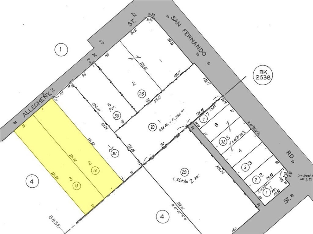
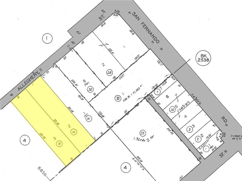
11942 Allegheny Street, Sun Valley – $4,250,000

  • $4.3M Price
  • 1.14 Acres
  • 110 DOM
  • $4.3M Price
  • 1.14 Acres
  • 110 DOM

11942 Allegheny Street

* PRICE REDUCED * The subject property is a ±1.14 acre industrial yard located at 11942-11950 Allegheny Street in the city of Sun Valley. This site is composed of two individual parcels of land with APNs #2631-003-014 & 015. The site is located on Allegheny Street just a block south of San Fernando Road and less than a mile north of the I-5 freeway. The site is currently leased out to Best Trucking Services Inc. who has been a tenant since 2018. The term of their existing lease expires in February of 2028 at which time they will have one single remaining 5-year option. Best Trucking is currently paying $0.29 per square foot for the land at this time (gross lease), however the 5-year option lease rate will be at “Prevailing Market Rates” which is going to be an increase if they decide to stay. There are two small houses on the property which can be used as offices. The houses are 1,150 square feet and 720 square feet and they were built in 1947. There is also a newer 900 square foot structure on site that is used as a garage. This property is flat and rectangular in shape with 150’ of frontage along Allegheny Street and a depth of 331'. The site is fully fenced and has two gated entry points along Allegheny Street. Zoning on this site is [T][Q] M1-1-CUGU which is a Limited Industrial zoning classification. The General Plan Land Use is Limited Manufacturing. Height District 1 in the M1 zone allows for a FAR of 1.5:1 and does not indicate a height limit. The subject property is surrounded by industrial buildings to the north and to the east along with several small to mid-sized multifamily buildings to the south along Allegheny Street. Directly across the street from the property is Allegheny Park which is a new 1-acre city public park, and the Alliance 6-12 Charter Public School. M1 industrial sites of 1+ acres are very difficult to find in the San Fernando Valley and the market is extremely supply-restricted. This property should be of great interest to both investors and users looking to find an industrial site with great access to a major freeway.

Essential Information

  • MLS® #PW25266253
  • Price$4,250,000
  • Bathrooms0.00
  • Acres1.14
  • TypeLand
  • StatusActive

Community Information

  • Address11942 Allegheny Street
  • AreaSUNV - Sun Valley
  • CitySun Valley
  • CountyLos Angeles
  • Zip Code91352

Amenities

  • ViewPark/Greenbelt

Utilities

Electricity Connected, Sewer Connected, Water Connected

Exterior

Lot Description

Level, Near Park, Rectangular Lot, Value In Land

Additional Information

  • Date ListedNovember 25th, 2025
  • Days on Market110
  • Zoning[T][Q] M1-1-CUGU

Listing Details

  • AgentMatthew Wenzel
  • OfficeMarcus & Millichap
Please provide a valid email address.

Price Change History for 11942 Allegheny Street, Sun Valley, (MLS® #PW25266253)

Date Details Change
Price Reduced from $5,290,000 to $4,250,000 $1,040,000 (19.66%)

Matthew Wenzel, Marcus & Millichap.

Based on information from California Regional Multiple Listing Service, Inc. as of March 15th, 2026 at 8:35pm PDT. This information is for your personal, non-commercial use and may not be used for any purpose other than to identify prospective properties you may be interested in purchasing. Display of MLS data is usually deemed reliable but is NOT guaranteed accurate by the MLS. Buyers are responsible for verifying the accuracy of all information and should investigate the data themselves or retain appropriate professionals. Information from sources other than the Listing Agent may have been included in the MLS data. Unless otherwise specified in writing, Broker/Agent has not and will not verify any information obtained from other sources. The Broker/Agent providing the information contained herein may or may not have been the Listing and/or Selling Agent.