Connect

Find us on...

Dashboard

Login using...

Shawn Bengtson

Office Broker - DRE 01236964

  • Office 760-805-7199
Questions?

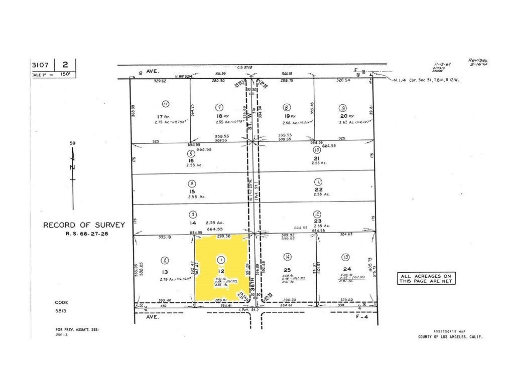
W Avenue F-4, Lancaster – $37,500

  • $37.5k Price
  • 3.01 Acres
  • 15 DOM
  • $37.5k Price
  • 3.01 Acres
  • 15 DOM

W Avenue F-4

Presenting an exceptional opportunity to acquire a 3.01-acre (131,195 sq. ft.) parcel situated within the Fox Field Specific Plan area of Lancaster, CA. This property is designated for light industrial use, offering a versatile foundation for various industrial developments. Key Features: Zoning: Located within the Fox Field Specific Plan, permitting light industrial applications. Lot Size: Approximately 3.01 acres (131,195 sq. ft.), providing ample space for development. Topography: Mostly flat terrain, ideal for various industrial uses. Accessibility: Situated approximately 900 feet south of West Avenue F, a paved road, and about 1.5 miles west of California State Highway 14, ensuring convenient access. Utilities: Buyer to verify the proximity and availability of utilities with the appropriate agencies.

Essential Information

  • MLS® #PW25274375
  • Price$37,500
  • Bathrooms0.00
  • Acres3.01
  • TypeLand
  • StatusActive

Community Information

  • AddressW Avenue F-4
  • AreaLAC - Lancaster
  • CityLancaster
  • CountyLos Angeles
  • Zip Code93536

Amenities

  • UtilitiesWater Not Available
  • ViewNone

Exterior

  • Lot DescriptionRectangular Lot

Additional Information

  • Date ListedDecember 10th, 2025
  • Days on Market15
  • ZoningLRMPD*

Listing Details

  • AgentJorge Granados
  • OfficeJorge Granados, Broker
Please provide a valid email address.

Jorge Granados, Jorge Granados, Broker.

Based on information from California Regional Multiple Listing Service, Inc. as of December 25th, 2025 at 8:45am PST. This information is for your personal, non-commercial use and may not be used for any purpose other than to identify prospective properties you may be interested in purchasing. Display of MLS data is usually deemed reliable but is NOT guaranteed accurate by the MLS. Buyers are responsible for verifying the accuracy of all information and should investigate the data themselves or retain appropriate professionals. Information from sources other than the Listing Agent may have been included in the MLS data. Unless otherwise specified in writing, Broker/Agent has not and will not verify any information obtained from other sources. The Broker/Agent providing the information contained herein may or may not have been the Listing and/or Selling Agent.