Connect

Find us on...

Dashboard

Login using...

Shawn Bengtson

Office Broker - DRE 01236964

  • Office 760-805-7199
Questions?

W. Norberry Street, Lancaster – $38,000

  • $38k Price
  • .06 Acres
  • 51 DOM
  • $38k Price
  • .06 Acres
  • 51 DOM

W. Norberry Street

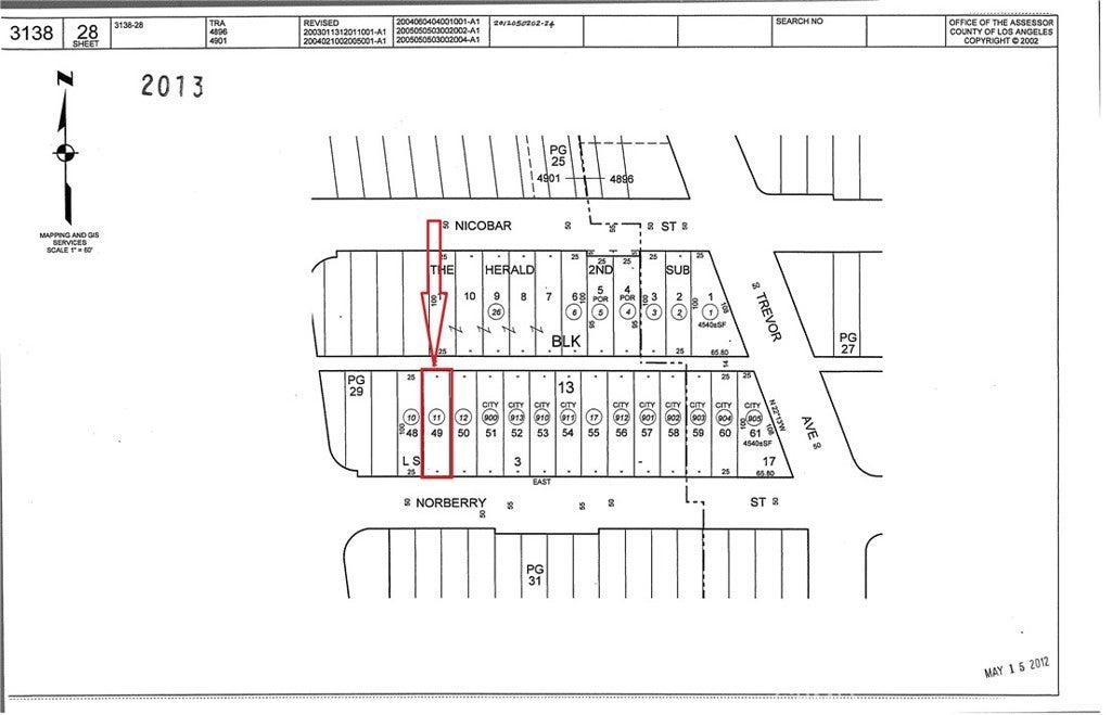
Prime lot opportunity in the City of Lancaster! This 2,529 SF lot (approx. 101’ x 25’) is ideally located near the corner of W. Norberry St. and Yucca Ave. in a strategic transit-oriented area. Zone: TOD-EC (Transit Oriented Development , Employment Commercial), this parcel is positioned for buyers seeking a centrally located site in an evolving urban corridor. The property is within 4 minutes distance to the Metrolink Station and just blocks from Lancaster Blvd, the heart of Downtown Lancaster with nearby shops, dining, services, and community activity. Paved street frontage on W. Norberry St. adds accessibility, and utilities are reported nearby/in street (electricity, water, public sewer). Excellent opportunity for investors, developers, and owner-users looking to secure land in a high-visibility, growth-oriented location. APN: 3138-028-011 ; Lot Size: 2,529 SF ; Dimensions: Approx. 101’ x 25’ ; Zoning: TOD-EC ; Topography: Flat ; Street Access: Paved / W. Norberry St. ; Electric: In street (W. Norberry St.) ; Water: In street ; Sewer: Public ; GPS: 34.694043, -118.133829 ; Cross Streets: Near W. Norberry St. & Yucca Ave. ; Area Highlights: Near Metrolink Station, blocks from Downtown Lancaster Blvd. ; Buyer to verify zoning, permitted uses, development standards, and utility availability/capacity with the City of Lancaster and utility providers. Please contact Listing Agent for more information.

Essential Information

  • MLS® #PW26040894
  • Price$38,000
  • Bathrooms0.00
  • Acres0.06
  • TypeLand
  • StatusActive Under Contract

Community Information

  • AddressW. Norberry Street
  • AreaLAC - Lancaster
  • CityLancaster
  • CountyLos Angeles
  • Zip Code93535

Amenities

  • ViewNeighborhood

Exterior

Lot Description

Level, Near Public Transit, Street Level, Rectangular Lot

Additional Information

  • Date ListedFebruary 24th, 2026
  • Days on Market51
  • ZoningTOD-EC

Listing Details

  • AgentAmir Maloumi
  • OfficeFirst Team Real Estate
Please provide a valid email address.

Price Change History for W. Norberry Street, Lancaster, (MLS® #PW26040894)

Date Details Change
Status Changed from Active to Active Under Contract

Amir Maloumi, First Team Real Estate.

Based on information from California Regional Multiple Listing Service, Inc. as of April 16th, 2026 at 12:41pm PDT. This information is for your personal, non-commercial use and may not be used for any purpose other than to identify prospective properties you may be interested in purchasing. Display of MLS data is usually deemed reliable but is NOT guaranteed accurate by the MLS. Buyers are responsible for verifying the accuracy of all information and should investigate the data themselves or retain appropriate professionals. Information from sources other than the Listing Agent may have been included in the MLS data. Unless otherwise specified in writing, Broker/Agent has not and will not verify any information obtained from other sources. The Broker/Agent providing the information contained herein may or may not have been the Listing and/or Selling Agent.