Connect

Find us on...

Dashboard

Login using...

Shawn Bengtson

Office Broker - DRE 01236964

  • Office 760-805-7199
Questions?

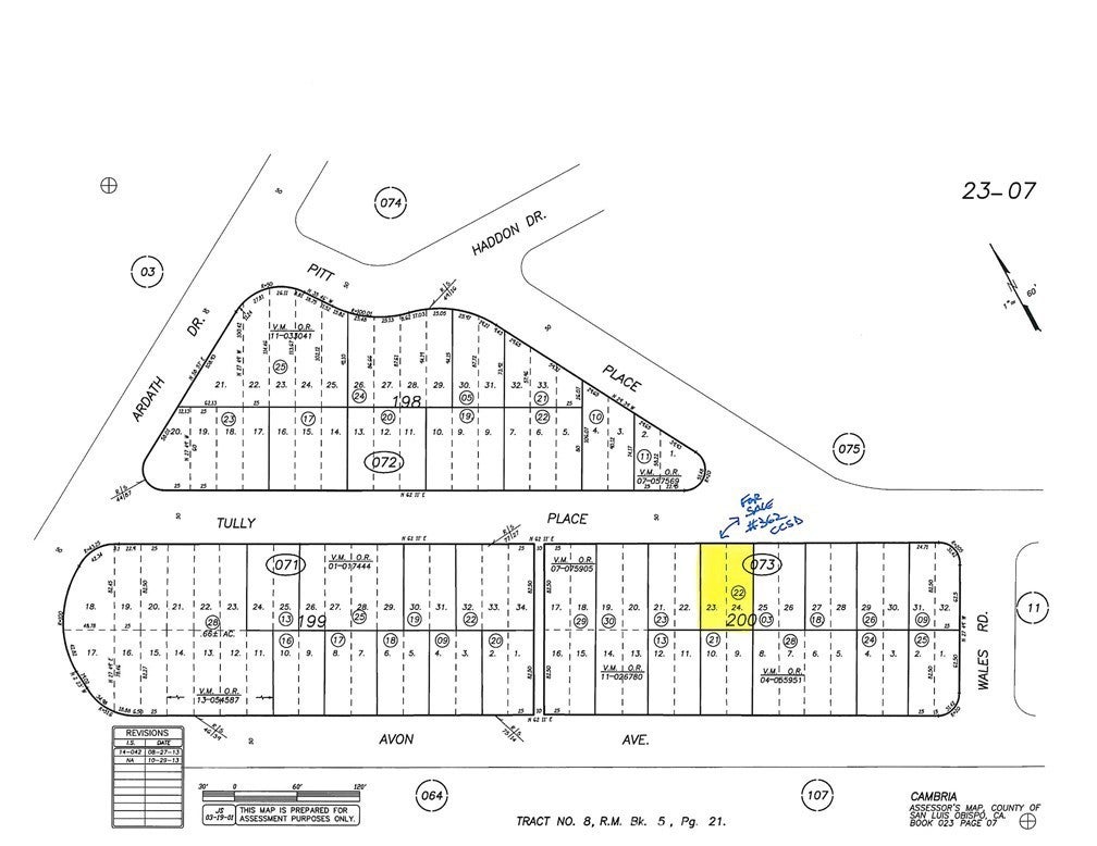
Tully Place, Cambria – $39,000

  • $39k Price
  • .09 Acres
  • 1180 DOM
  • $39k Price
  • .09 Acres
  • 1180 DOM

Tully Place

Rural and quiet part of Lodge Hill. Lots of wildlife, oaks & pines. West of Highway One & not far to the beach or ranch trails. #361 on CCSD water wait list. This is a double lot 4100+-sqft, 50'x 82.50' on a gentle down slope. Buy and hold for now until the current building moratorium for new construction is lifted. Check CCSD and county websites (cambriacsd.org & slocounty.ca.gov) for info on the moratorium & allowable uses for property. Offered for $39,000.

Essential Information

  • MLS® #SC22204783
  • Price$39,000
  • Bathrooms0.00
  • Acres0.09
  • TypeLand
  • Sub-TypeWater Position With Land
  • StatusActive

Community Information

  • AddressTully Place
  • AreaCAMB - Cambria
  • SubdivisionLodge Hill(430)
  • CityCambria
  • CountySan Luis Obispo
  • Zip Code93428

Amenities

  • ViewTrees/Woods

Exterior

Lot Description

Gentle Sloping, Rectangular Lot

Additional Information

  • Date ListedSeptember 19th, 2022
  • Days on Market1180
  • ZoningRSF

Listing Details

  • AgentJack Posemsky
  • OfficeJack Posemsky Real Estate
Please provide a valid email address.

Price Change History for Tully Place, Cambria, (MLS® #SC22204783)

Date Details Change
Status Changed from Pending to Active
Status Changed from Active to Pending

Jack Posemsky, Jack Posemsky Real Estate.

Based on information from California Regional Multiple Listing Service, Inc. as of December 17th, 2025 at 4:41pm PST. This information is for your personal, non-commercial use and may not be used for any purpose other than to identify prospective properties you may be interested in purchasing. Display of MLS data is usually deemed reliable but is NOT guaranteed accurate by the MLS. Buyers are responsible for verifying the accuracy of all information and should investigate the data themselves or retain appropriate professionals. Information from sources other than the Listing Agent may have been included in the MLS data. Unless otherwise specified in writing, Broker/Agent has not and will not verify any information obtained from other sources. The Broker/Agent providing the information contained herein may or may not have been the Listing and/or Selling Agent.