Connect

Find us on...

Dashboard

Login using...

Shawn Bengtson

Office Broker - DRE 01236964

  • Office 760-805-7199
Questions?

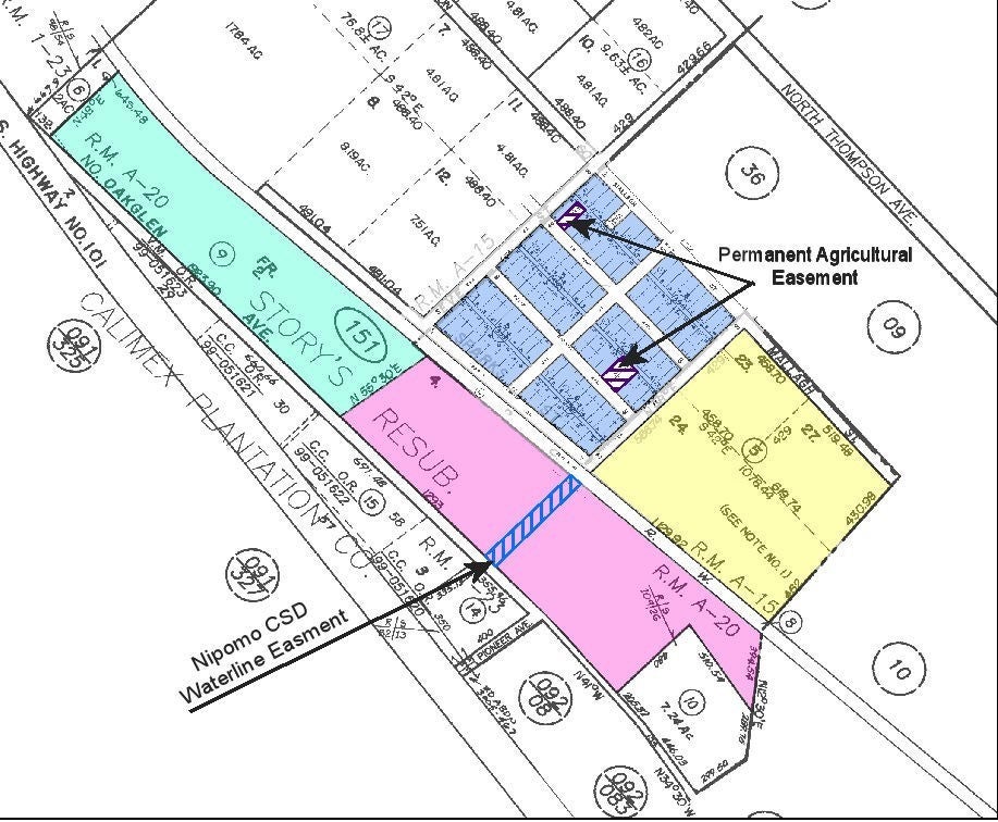
400 N Oakglen Avenue, Nipomo – $3,950,000

  • $4M Price
  • 99 Acres
  • 148 DOM
  • $4M Price
  • 99 Acres
  • 148 DOM

400 N Oakglen Avenue

Approximately 20 acres of the Property adjacent to the High School has an antiquated, unrecorded underlying 1887 subdivision map. The county uses it in defining the assessor parcels (APNs). The assessor's parcel map is used herein to determine acreage but it only references the lots in the antiquated subdivision map and therefore the acreage for the nonexistent paper streets and alleys are not included in the 99 +/- acres referenced herein. Owned today by direct descendants of the famous Captain Dana who owned the original 1837 Mexican Land Grant, the Property has a long history of irrigated farming. It is currently leased to a grower who has been growing squash and peppers. Currently there are 76 acres leased with rents at 1,500 dollars per acre per year totaling 114,000 dollars annually, with some potential to add additional acreage. The lease expires November 30, 2025. The Property is In the vicinity of other irrigated farming operations, including strawberries, vegetables, avocados and citrus. There is one irrigation well that is reported to produce 450 GPM currently. Water is delivered via a combination of underground and above ground pressurized main lines. There is a cell tower located on the Property which brings in about 22,000 dollars annually with annual increases. The Property is located in the Sphere of Influence of the Nipomo Community Services District. It is not subject to a Williamson Act contract.

Essential Information

  • MLS® #SC25021245
  • Price$3,950,000
  • Bathrooms0.00
  • Acres99.00
  • TypeLand
  • StatusActive

Community Information

  • Address400 N Oakglen Avenue
  • AreaNPMO - Nipomo
  • SubdivisionNipomo(340)
  • CityNipomo
  • CountySan Luis Obispo
  • Zip Code93444

Amenities

  • ViewNeighborhood

Exterior

  • Lot DescriptionAgricultural

Additional Information

  • Date ListedJanuary 29th, 2025
  • Days on Market148
  • ZoningAG

Listing Details

  • AgentLarry Lahr
  • OfficeRincon Corporation
Please provide a valid email address.

Price Change History for 400 N Oakglen Avenue, Nipomo, (MLS® #SC25021245)

Date Details Change
Status Changed from Closed to Active
Status Changed from Pending to Closed
Status Changed from Active to Pending

Larry Lahr, Rincon Corporation.

Based on information from California Regional Multiple Listing Service, Inc. as of November 20th, 2025 at 11:41pm PST. This information is for your personal, non-commercial use and may not be used for any purpose other than to identify prospective properties you may be interested in purchasing. Display of MLS data is usually deemed reliable but is NOT guaranteed accurate by the MLS. Buyers are responsible for verifying the accuracy of all information and should investigate the data themselves or retain appropriate professionals. Information from sources other than the Listing Agent may have been included in the MLS data. Unless otherwise specified in writing, Broker/Agent has not and will not verify any information obtained from other sources. The Broker/Agent providing the information contained herein may or may not have been the Listing and/or Selling Agent.