Connect

Find us on...

Dashboard

Login using...

Shawn Bengtson

Office Broker - DRE 01236964

  • Office 760-805-7199
Questions?

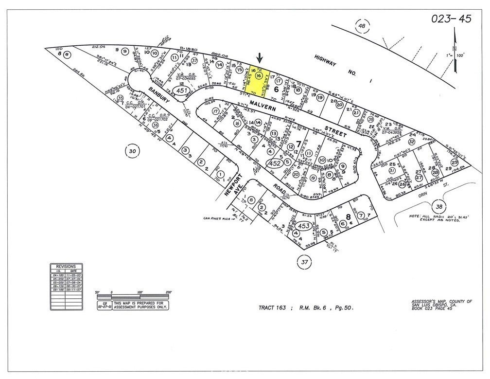
2540 Malvern Street, Cambria – $89,000

  • $89k Price
  • .16 Acres
  • 379 DOM
  • $89k Price
  • .16 Acres
  • 379 DOM

2540 Malvern Street

Mountain View level lot approx 6900+sf (71'x98') with #208 on local water wait list. Paved street. Quiet, low traffic area of Lodge Hill and a perfect location for your future single level home with room to spare for a front and rear garden. Buy and Hold for now until current building moratorium for new construction is lifted. Check CCSD and county websites (cambriacsd.org & slocounty.ca.gov) for info on the moratorium & allowable uses for property. Offered for $89,000.

Essential Information

  • MLS® #SC25053710
  • Price$89,000
  • Bathrooms0.00
  • Acres0.16
  • TypeLand
  • Sub-TypeWater Position With Land
  • StatusActive

Community Information

  • Address2540 Malvern Street
  • AreaCAMB - Cambria
  • SubdivisionLodge Hill(430)
  • CityCambria
  • CountySan Luis Obispo
  • Zip Code93428

Amenities

View

Hills, Mountain(s), Trees/Woods

Exterior

  • Lot DescriptionStreet Level

Additional Information

  • Date ListedMarch 11th, 2025
  • Days on Market379
  • ZoningRSF

Listing Details

  • AgentJack Posemsky
  • OfficeJack Posemsky Real Estate
Please provide a valid email address.

Jack Posemsky, Jack Posemsky Real Estate.

Based on information from California Regional Multiple Listing Service, Inc. as of March 25th, 2026 at 7:15am PDT. This information is for your personal, non-commercial use and may not be used for any purpose other than to identify prospective properties you may be interested in purchasing. Display of MLS data is usually deemed reliable but is NOT guaranteed accurate by the MLS. Buyers are responsible for verifying the accuracy of all information and should investigate the data themselves or retain appropriate professionals. Information from sources other than the Listing Agent may have been included in the MLS data. Unless otherwise specified in writing, Broker/Agent has not and will not verify any information obtained from other sources. The Broker/Agent providing the information contained herein may or may not have been the Listing and/or Selling Agent.