Connect

Find us on...

Dashboard

Login using...

Shawn Bengtson

Office Broker - DRE 01236964

  • Office 760-805-7199
Questions?

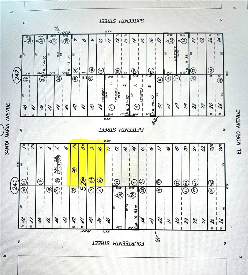
1325 1335 15th Street, Los Osos – $137,000

  • $137k Price
  • .29 Acres
  • 307 DOM
  • $137k Price
  • .29 Acres
  • 307 DOM

1325 1335 15th Street

This is an opportunity to purchase a 12,500 sq. ft. unimproved parcel in the bayside community of Los Osos. This is a bulk sale consisting of four adjoining 25’ X 125’ lots to be sold together, equaling 100’ of street frontage. With distant views of the bay, sand dunes, and surrounding hills from street level, it is sure to be a terrific homesite when building is permitted. You’ll be a part of a wonderful community offering a coastal lifestyle along with all the amenities this area has to offer. One of the lots is #211 on the Los Osos Waitlist for Building Permits and lot size says 12,500 sq ft. Check with SLO County Dept of Planning & Building to investigate the potential of building on vacant lots in Los Osos. You’ll find some great information at https://www.slocounty.ca.gov/departments/planning-building/grid-items/communities-villages/los-osos

Essential Information

  • MLS® #SC25088934
  • Price$137,000
  • Bathrooms0.00
  • Acres0.29
  • TypeLand
  • StatusActive

Community Information

  • Address1325 1335 15th Street
  • AreaOSOS - Los Osos
  • SubdivisionTown of El Moro(680)
  • CityLos Osos
  • CountySan Luis Obispo
  • Zip Code93402

Amenities

Utilities

None, Sewer Not Available, Water Not Available

View

Mountain(s), Back Bay, Peek-A-Boo

Additional Information

  • Date ListedMay 15th, 2025
  • Days on Market307
  • ZoningSFR

Listing Details

  • AgentDebbi Crossland
  • OfficeCentury 21 Masters
Please provide a valid email address.

Price Change History for 1325 1335 15th Street, Los Osos, (MLS® #SC25088934)

Date Details Change
Status Changed from Pending to Active
Status Changed from Active to Pending
Price Reduced from $157,000 to $137,000 $20,000 (12.74%)
Price Reduced from $169,000 to $157,000 $12,000 (7.10%)
Status Changed from Pending to Active

Debbi Crossland, Century 21 Masters.

Based on information from California Regional Multiple Listing Service, Inc. as of March 31st, 2026 at 12:56am PDT. This information is for your personal, non-commercial use and may not be used for any purpose other than to identify prospective properties you may be interested in purchasing. Display of MLS data is usually deemed reliable but is NOT guaranteed accurate by the MLS. Buyers are responsible for verifying the accuracy of all information and should investigate the data themselves or retain appropriate professionals. Information from sources other than the Listing Agent may have been included in the MLS data. Unless otherwise specified in writing, Broker/Agent has not and will not verify any information obtained from other sources. The Broker/Agent providing the information contained herein may or may not have been the Listing and/or Selling Agent.