Connect

Find us on...

Dashboard

Login using...

Shawn Bengtson

Office Broker - DRE 01236964

  • Office 760-805-7199
Questions?

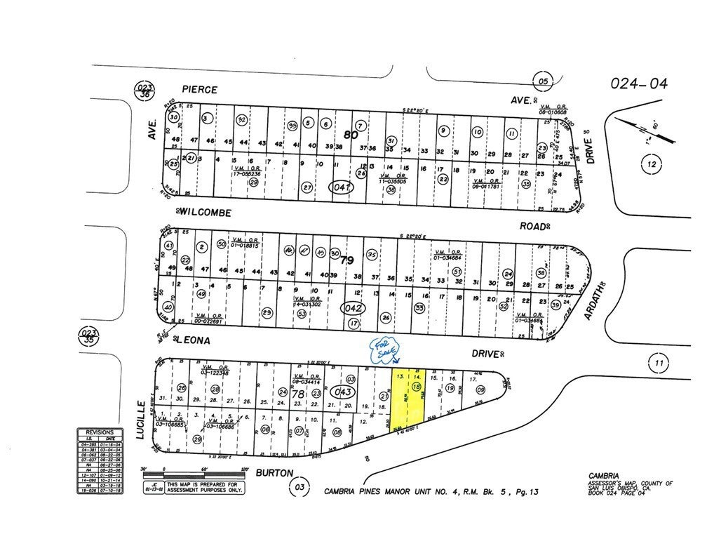
2275 Leona Drive, Cambria – $15,000

  • $15k Price
  • .1 Acres
  • 107 DOM
  • $15k Price
  • .1 Acres
  • 107 DOM

2275 Leona Drive

Leona Dr sloping down to Ardath Drive, a street to street oversize double lot +-4250sf. #146 on County Allocation list. Forest views, low traffic paved road. Easy access to Hwy One or head West to the Beach. Offered for $15,000.

Essential Information

  • MLS® #SC25202937
  • Price$15,000
  • Bathrooms0.00
  • Acres0.10
  • TypeLand
  • StatusActive

Community Information

  • Address2275 Leona Drive
  • AreaCAMB - Cambria
  • SubdivisionLodge Hill(430)
  • CityCambria
  • CountySan Luis Obispo
  • Zip Code93428

Amenities

  • ViewTrees/Woods

Exterior

  • Lot DescriptionSloped Down, Trees

Additional Information

  • Date ListedSeptember 8th, 2025
  • Days on Market107
  • ZoningRSF

Listing Details

  • AgentJack Posemsky
  • OfficeJack Posemsky Real Estate
Please provide a valid email address.

Jack Posemsky, Jack Posemsky Real Estate.

Based on information from California Regional Multiple Listing Service, Inc. as of December 24th, 2025 at 2:56pm PST. This information is for your personal, non-commercial use and may not be used for any purpose other than to identify prospective properties you may be interested in purchasing. Display of MLS data is usually deemed reliable but is NOT guaranteed accurate by the MLS. Buyers are responsible for verifying the accuracy of all information and should investigate the data themselves or retain appropriate professionals. Information from sources other than the Listing Agent may have been included in the MLS data. Unless otherwise specified in writing, Broker/Agent has not and will not verify any information obtained from other sources. The Broker/Agent providing the information contained herein may or may not have been the Listing and/or Selling Agent.