Connect

Find us on...

Dashboard

Login using...

Shawn Bengtson

Office Broker - DRE 01236964

  • Office 760-805-7199
Questions?

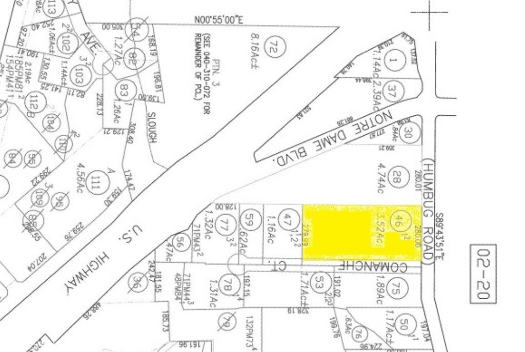
3731 Morrow Lane, Chico – $919,000

  • $919k Price
  • 3.52 Acres
  • 17 DOM
  • $919k Price
  • 3.52 Acres
  • 17 DOM

3731 Morrow Lane

A rare opportunity to acquire 3.52 acres of prime commercial-industrial land in one of Chico’s most established trade and contractor hubs. Strategically positioned at the corner of Morrow Lane and Comanche Court, this property sits within the highly desirable commercial district off the Skyway, surrounded by major operators including Home Depot and Payless Building Supply. Zoned ML – Light Manufacturing, the site supports a wide range of commercial, industrial, and service-oriented uses, making it an ideal location for owner-users, developers, or investors seeking to capitalize on Chico’s industrial market. The seller has completed preliminary planning for two proposed buildings: Building A: ~17,753 SF. Building B: ~14,966 SF. Or build out your own plan to suit your needs. See Supplemental Documents for soils report and engineering site plans. The back portion of the property is now being used as a laydown yard storage yard for a construction company.

Essential Information

  • MLS® #SN25273126
  • Price$919,000
  • Bathrooms0.00
  • Acres3.52
  • TypeCommercial Sale
  • Sub-TypeUnimproved Land
  • StatusActive

Community Information

  • Address3731 Morrow Lane
  • CityChico
  • CountyButte
  • Zip Code95928

Exterior

  • Lot DescriptionLevel

Additional Information

  • Date ListedDecember 9th, 2025
  • Days on Market17

Listing Details

  • AgentMichael Donnelly

Office

Commercial Brokers of California

Please provide a valid email address.

Michael Donnelly, Commercial Brokers of California.

Based on information from California Regional Multiple Listing Service, Inc. as of December 26th, 2025 at 12:11pm PST. This information is for your personal, non-commercial use and may not be used for any purpose other than to identify prospective properties you may be interested in purchasing. Display of MLS data is usually deemed reliable but is NOT guaranteed accurate by the MLS. Buyers are responsible for verifying the accuracy of all information and should investigate the data themselves or retain appropriate professionals. Information from sources other than the Listing Agent may have been included in the MLS data. Unless otherwise specified in writing, Broker/Agent has not and will not verify any information obtained from other sources. The Broker/Agent providing the information contained herein may or may not have been the Listing and/or Selling Agent.