Connect

Find us on...

Dashboard

Login using...

Shawn Bengtson

Office Broker - DRE 01236964

  • Office 760-805-7199
Questions?

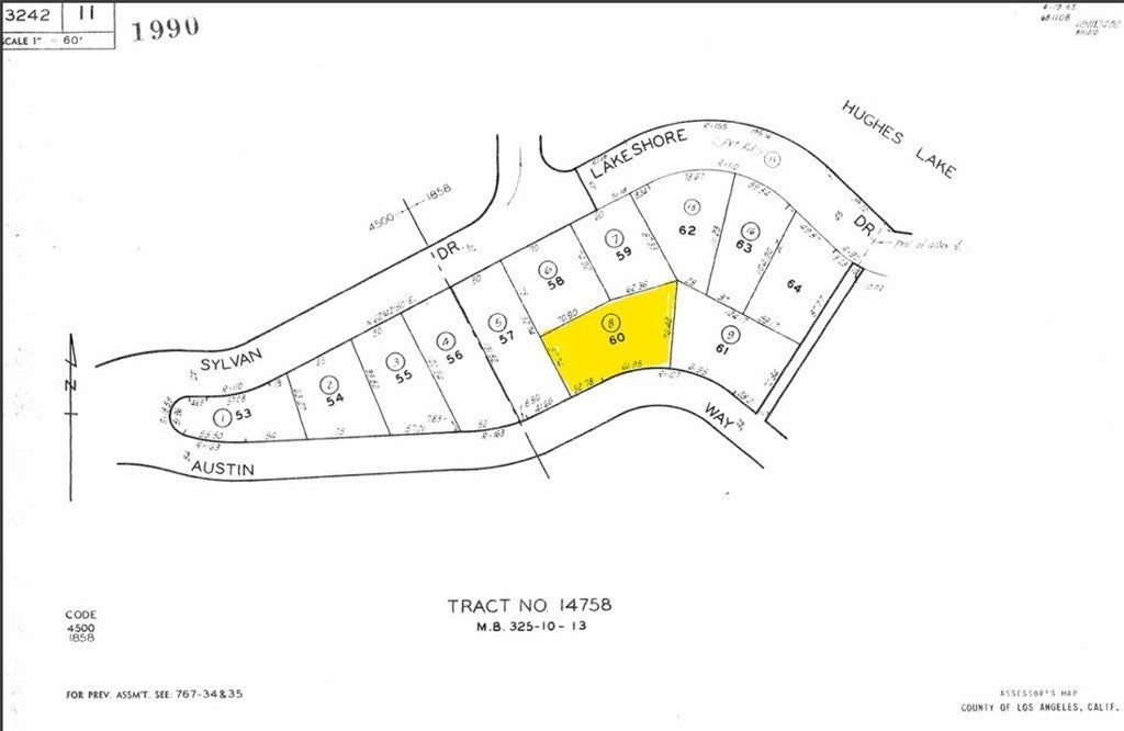
18087 Austin Way, Lake Hughes – $11,700

  • $11.7k Price
  • .16 Acres
  • 290 DOM
  • $11.7k Price
  • .16 Acres
  • 290 DOM

18087 Austin Way

7100 SQ FT residential view lot in Lake Hughes. Water, power, and sewer are available in the street. APN 3242-011-008.

Essential Information

  • MLS® #SR25055209
  • Price$11,700
  • Bathrooms0.00
  • Acres0.16
  • TypeLand
  • StatusActive

Community Information

  • Address18087 Austin Way
  • AreaLEL - Lake Elizabeth
  • CityLake Hughes
  • CountyLos Angeles
  • Zip Code93532

Amenities

  • ViewHills, Mountain(s), Panoramic

Utilities

Electricity Available, Phone Available, Sewer Available, Water Available

Exterior

  • Lot DescriptionIrregular Lot, Trees

Additional Information

  • Date ListedMarch 12th, 2025
  • Days on Market290
  • ZoningLCR17500*

Listing Details

  • AgentKirk Swirczynski
  • OfficeCentury 21 Doug Anderson
Please provide a valid email address.

Price Change History for 18087 Austin Way, Lake Hughes, (MLS® #SR25055209)

Date Details Change
Price Reduced from $13,000 to $11,700 $1,300 (10.00%)

Kirk Swirczynski, Century 21 Doug Anderson.

Based on information from California Regional Multiple Listing Service, Inc. as of December 27th, 2025 at 6:56am PST. This information is for your personal, non-commercial use and may not be used for any purpose other than to identify prospective properties you may be interested in purchasing. Display of MLS data is usually deemed reliable but is NOT guaranteed accurate by the MLS. Buyers are responsible for verifying the accuracy of all information and should investigate the data themselves or retain appropriate professionals. Information from sources other than the Listing Agent may have been included in the MLS data. Unless otherwise specified in writing, Broker/Agent has not and will not verify any information obtained from other sources. The Broker/Agent providing the information contained herein may or may not have been the Listing and/or Selling Agent.