Connect

Find us on...

Dashboard

Login using...

Shawn Bengtson

Office Broker - DRE 01236964

  • Office 760-805-7199
Questions?

18751 Lancaster Rd, Lancaster – $24,500

  • $24.5k Price
  • 5 Acres
  • 192 DOM
  • $24.5k Price
  • 5 Acres
  • 192 DOM

18751 Lancaster Rd

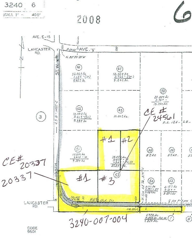
One of two 5 acre parcels located 330 feet back from Lancaster Rd, just west of 190th Stw. Recorded Declaration and Grant of Easement recorded 1972. Recorded Certificate of Exception No 24551 recorded 1972. One of two 5 acre parcels with 32' wide roadway easement to access Lancaster Rd. and to access 190th Stw. Level land west of the California Poppy Reserve. Beautiful high desert and mountain views. Overhead power at paved Lancaster Rd.

Essential Information

  • MLS® #SR25136026
  • Price$24,500
  • Bathrooms0.00
  • Acres5.00
  • TypeLand
  • StatusActive

Community Information

  • Address18751 Lancaster Rd
  • AreaLAC - Lancaster
  • CityLancaster
  • CountyLos Angeles
  • Zip Code93536

Amenities

  • UtilitiesElectricity Available
  • ViewMountain(s), Valley

Exterior

Lot Description

ZeroToOneUnitAcre, Horse Property, Lot Over 40000 Sqft, Level, Rectangular Lot, Street Level

Additional Information

  • Date ListedJune 15th, 2025
  • Days on Market192
  • ZoningLCA25*

Listing Details

  • AgentDonald Pistotnik
  • OfficeLand & Real Estate Investments
Please provide a valid email address.

Donald Pistotnik, Land & Real Estate Investments.

Based on information from California Regional Multiple Listing Service, Inc. as of December 26th, 2025 at 7:45am PST. This information is for your personal, non-commercial use and may not be used for any purpose other than to identify prospective properties you may be interested in purchasing. Display of MLS data is usually deemed reliable but is NOT guaranteed accurate by the MLS. Buyers are responsible for verifying the accuracy of all information and should investigate the data themselves or retain appropriate professionals. Information from sources other than the Listing Agent may have been included in the MLS data. Unless otherwise specified in writing, Broker/Agent has not and will not verify any information obtained from other sources. The Broker/Agent providing the information contained herein may or may not have been the Listing and/or Selling Agent.