Connect

Find us on...

Dashboard

Login using...

Shawn Bengtson

Office Broker - DRE 01236964

  • Office 760-805-7199
Questions?

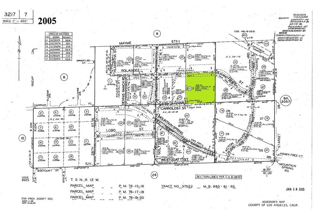
Rolandee Street, Acton – $199,000

  • $199k Price
  • 9.93 Acres
  • 205 DOM
  • $199k Price
  • 9.93 Acres
  • 205 DOM

Rolandee Street

10AC / ACTON, CA / OWN WELL Discover the freedom and potential of country living on this 10-acre gross land parcel set in the peaceful rural community of Acton, California. With wide-open space, mountain views, and a tranquil setting, this property offers the perfect blend of privacy and accessibility. Located in a quiet area surrounded by custom homes and ranches, this parcel is zoned A-2-1 by Los Angeles County, allowing for a wide range of uses including equestrian facilities, a private residence, agricultural activities, or a working ranch. Whether you're dreaming of building your custom home, starting a small farm, or simply investing in land, this property provides the ideal foundation. Street easements are in place for convenient access, and the parcel's location makes commuting simple—just minutes from Highway 14, offering easy routes to both the Santa Clarita Valley and the Antelope Valley. Acton is a small, welcoming community known for its rural charm, horse-friendly lifestyle, and scenic beauty. Set against the backdrop of the Sierra Pelona Mountains, Acton combines a laid-back lifestyle with proximity to modern conveniences. Residents enjoy local wineries, hiking trails, and a strong sense of community, all within an easy drive to larger employment and shopping centers in nearby cities. If you've been searching for a spacious land parcel in a serene setting with room to grow and build your vision, this is an excellent opportunity. Embrace the wide-open skies, peaceful surroundings, and potential that this 10-acre property in Acton has to offer.

Essential Information

  • MLS® #SR25169499
  • Price$199,000
  • Bathrooms0.00
  • Acres9.93
  • TypeLand
  • StatusActive

Community Information

  • AddressRolandee Street
  • AreaACTO - Acton
  • SubdivisionCustom Acton (CACTO)
  • CityActon
  • CountyLos Angeles
  • Zip Code93510

Amenities

  • ViewDesert, Mountain(s)

Utilities

Electricity Available, Sewer Not Available

Exterior

Lot Description

Agricultural, Desert Back, Desert Front, Horse Property, Lot Over 40000 Sqft, No Landscaping, Street Level, Value In Land

Additional Information

  • Date ListedJuly 29th, 2025
  • Days on Market205
  • ZoningLCA21*

Listing Details

  • AgentAnn Trussell
  • OfficeHomeBased Realty
Please provide a valid email address.

Ann Trussell, HomeBased Realty.

Based on information from California Regional Multiple Listing Service, Inc. as of February 19th, 2026 at 5:56pm PST. This information is for your personal, non-commercial use and may not be used for any purpose other than to identify prospective properties you may be interested in purchasing. Display of MLS data is usually deemed reliable but is NOT guaranteed accurate by the MLS. Buyers are responsible for verifying the accuracy of all information and should investigate the data themselves or retain appropriate professionals. Information from sources other than the Listing Agent may have been included in the MLS data. Unless otherwise specified in writing, Broker/Agent has not and will not verify any information obtained from other sources. The Broker/Agent providing the information contained herein may or may not have been the Listing and/or Selling Agent.