Connect

Find us on...

Dashboard

Login using...

Shawn Bengtson

Office Broker - DRE 01236964

  • Office 760-805-7199
Questions?

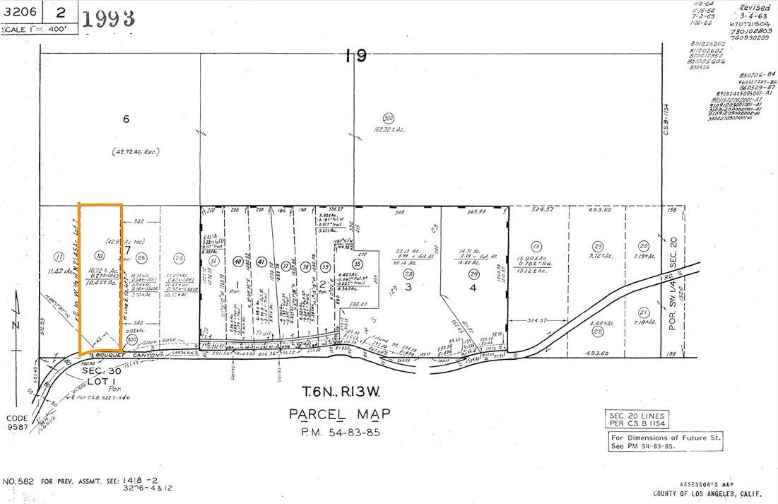
1 Bouquet Canyon Road, Palmdale – $125,000

  • $125k Price
  • 10½ Acres
  • 235 DOM
  • $125k Price
  • 10½ Acres
  • 235 DOM

1 Bouquet Canyon Road

Great investment opportunity with proximity to the rapidly growing City of Leona Valley, Ana Verde, and Palmdale of Los Angeles County! With over 10 acres of residential/Agricultural or recreational. This vacant land has a large amount of flat surface, with electric posts nearby, it offers hiking and horse trails, off-road hobbies, and plenty of room to build your getaway home with mesmerizing views! Want more room? The adjacent three lots are also for sale! With all four lots, you will own more flat land with over 47 acres of land! The tranquility, surrounding mountains, mesmerizing views, and clean oxygen, make these lands the perfect place to build your dream home/retreat/vacation home, horse property, or start your own agricultural…the possibilities are endless. Attention Agents: Please advise your buyers that pictures of the waterfall are not part of this lot, they were taken from a nearby public river with public access. Sellers are also selling 3 other lots adjacent to parcels - APN #'s: 3206-002-011 | 3215-012-014 | 3215-012-015. Sellers will consider selling a minimum of 2 parcels together.

Essential Information

  • MLS® #SR25175462
  • Price$125,000
  • Bathrooms0.00
  • Acres10.50
  • TypeLand
  • StatusActive

Community Information

  • Address1 Bouquet Canyon Road
  • AreaPLM - Palmdale
  • CityPalmdale
  • CountyLos Angeles
  • Zip Code93551

Amenities

  • UtilitiesWater Not Available
  • ViewCanyon, Mountain(s)

Exterior

Lot Description

Lot Over 40000 Sqft, Value In Land

Additional Information

  • Date ListedAugust 4th, 2025
  • Days on Market235
  • ZoningLCA22*

Listing Details

  • AgentTony Diaz
  • OfficeSmart Equity Realty Inc
Please provide a valid email address.

Tony Diaz, Smart Equity Realty Inc.

Based on information from California Regional Multiple Listing Service, Inc. as of March 27th, 2026 at 2:15am PDT. This information is for your personal, non-commercial use and may not be used for any purpose other than to identify prospective properties you may be interested in purchasing. Display of MLS data is usually deemed reliable but is NOT guaranteed accurate by the MLS. Buyers are responsible for verifying the accuracy of all information and should investigate the data themselves or retain appropriate professionals. Information from sources other than the Listing Agent may have been included in the MLS data. Unless otherwise specified in writing, Broker/Agent has not and will not verify any information obtained from other sources. The Broker/Agent providing the information contained herein may or may not have been the Listing and/or Selling Agent.