Connect

Find us on...

Dashboard

Login using...

Shawn Bengtson

Office Broker - DRE 01236964

  • Office 760-805-7199
Questions?

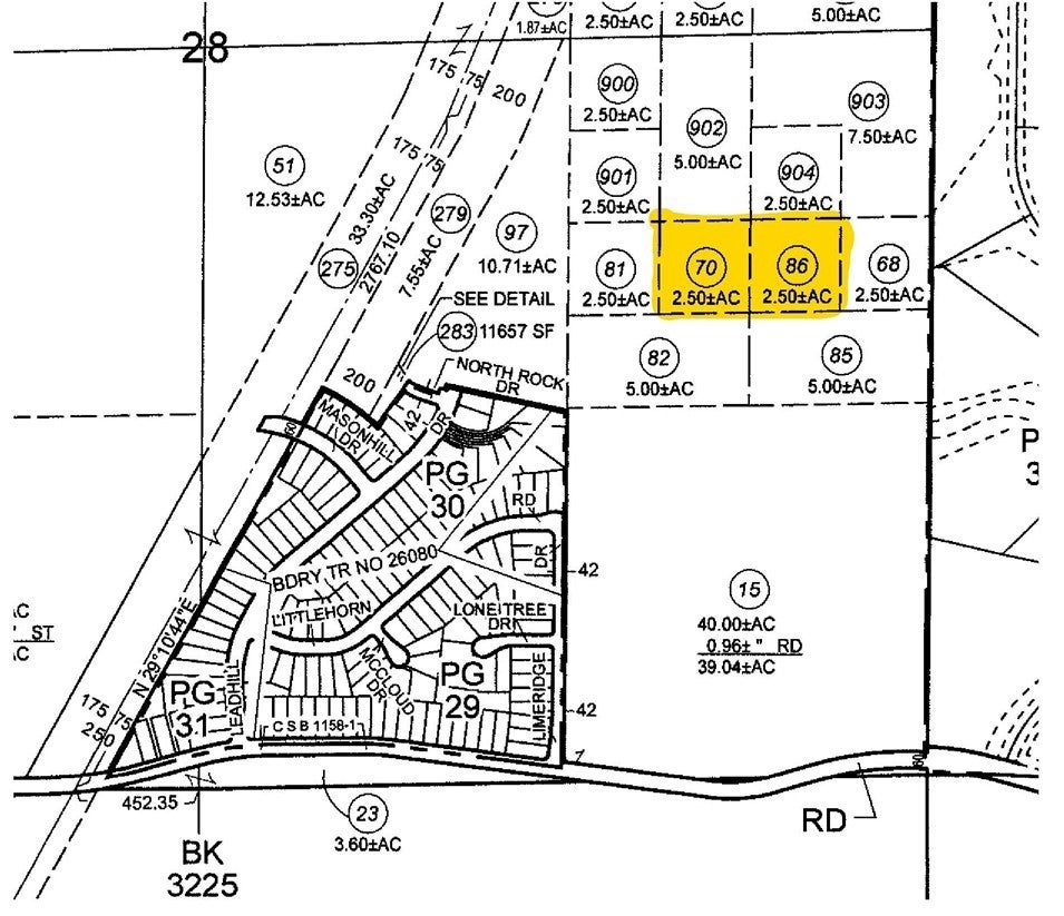
Johnson/limeridge Road, Lake Elizabeth – $35,000

  • $35k Price
  • 5 Acres
  • 132 DOM
  • $35k Price
  • 5 Acres
  • 132 DOM

Johnson/limeridge Road

Two Adjacent 2.5-Acre Parcels - 5 Acres Total - Lake Elizabeth. Rare opportunity to own two side-by-side parcels (totaling 5 acres) in the peaceful, secluded hills of Lake Elizabeth. Located on scenic Johnson Road, these lots offer privacy, natural beauty, and stunning elevated views of the surrounding landscape. No utilities are currently available. Ideal as a long-term investment or for those seeking off-grid potential. Offered at an excellent price—don't miss out! All information provided is deemed reliable but not guaranteed. Buyer to independently verify all details and suitability for intended use.

Essential Information

  • MLS® #SR25178963
  • Price$35,000
  • Bathrooms0.00
  • Acres5.00
  • TypeLand
  • StatusActive

Community Information

  • AddressJohnson/limeridge Road
  • AreaLEL - Lake Elizabeth
  • CityLake Elizabeth
  • CountyLos Angeles
  • Zip Code93532

Amenities

  • ViewHills, Mountain(s)

Utilities

None, Sewer Not Available, Water Not Available

Exterior

  • Lot DescriptionTwoToFiveUnitsAcre

Additional Information

  • Date ListedAugust 8th, 2025
  • Days on Market132
  • ZoningLCA22*

Listing Details

  • AgentTeri Gordon
  • OfficeTeri Gordon Real Estate
Please provide a valid email address.

Teri Gordon, Teri Gordon Real Estate.

Based on information from California Regional Multiple Listing Service, Inc. as of December 18th, 2025 at 11:15am PST. This information is for your personal, non-commercial use and may not be used for any purpose other than to identify prospective properties you may be interested in purchasing. Display of MLS data is usually deemed reliable but is NOT guaranteed accurate by the MLS. Buyers are responsible for verifying the accuracy of all information and should investigate the data themselves or retain appropriate professionals. Information from sources other than the Listing Agent may have been included in the MLS data. Unless otherwise specified in writing, Broker/Agent has not and will not verify any information obtained from other sources. The Broker/Agent providing the information contained herein may or may not have been the Listing and/or Selling Agent.