Connect

Find us on...

Dashboard

Login using...

Shawn Bengtson

Office Broker - DRE 01236964

  • Office 760-805-7199
Questions?

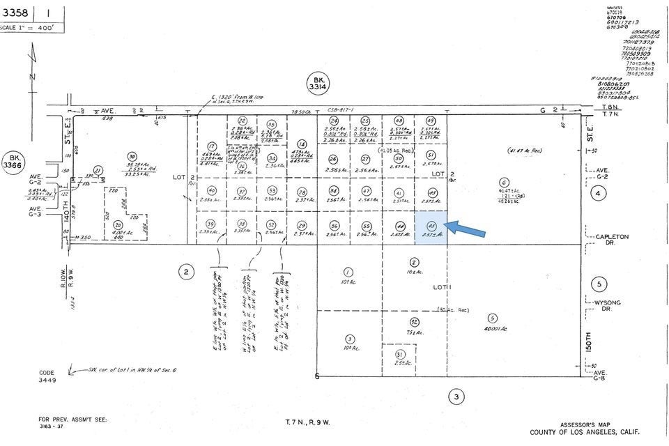
147th St E Vicinity Capleton Dr (ave G4), Lancaster – $12,900

  • $12.9k Price
  • 2.57 Acres
  • 46 DOM
  • $12.9k Price
  • 2.57 Acres
  • 46 DOM

147th St E Vicinity Capleton Dr (ave G4)

Scenic east-side parcel with versatile A-2 zoning! This affordable property has a recently completed Certificate of Compliance, saving you money and time for future development. Views of the valley stretching to the San Gabriels, and iconic Joshua tree specimens make for an attractive desert setting. This level parcel is located just over 1000' feet south of paved Avenue G and the nearest electricity. The land is in the Antelope Valley Significant Ecological Area, so please do your due diligence with LA County regarding your development plans. A nice buy! *Buyer to make their own independent investigations regarding Zoning & General Plan Designations, Environmental & Hazard Zones, Access & Development Costs, Availability & Costs of Utilities.

Essential Information

  • MLS® #SR25259975
  • Price$12,900
  • Bathrooms0.00
  • Acres2.57
  • TypeLand
  • StatusActive

Community Information

  • AreaLAC - Lancaster
  • CityLancaster
  • CountyLos Angeles
  • Zip Code93535

Address

147th St E Vicinity Capleton Dr (ave G4)

Amenities

  • ViewDesert

Utilities

None, Sewer Not Available, Water Not Available

Exterior

  • Lot DescriptionAgricultural, Level

Additional Information

  • Date ListedNovember 13th, 2025
  • Days on Market46
  • ZoningA-2-5

Listing Details

  • AgentKarmen Mastin
  • OfficeBig Valley Real Estate
Please provide a valid email address.

Karmen Mastin, Big Valley Real Estate.

Based on information from California Regional Multiple Listing Service, Inc. as of December 29th, 2025 at 3:40am PST. This information is for your personal, non-commercial use and may not be used for any purpose other than to identify prospective properties you may be interested in purchasing. Display of MLS data is usually deemed reliable but is NOT guaranteed accurate by the MLS. Buyers are responsible for verifying the accuracy of all information and should investigate the data themselves or retain appropriate professionals. Information from sources other than the Listing Agent may have been included in the MLS data. Unless otherwise specified in writing, Broker/Agent has not and will not verify any information obtained from other sources. The Broker/Agent providing the information contained herein may or may not have been the Listing and/or Selling Agent.