Connect

Find us on...

Dashboard

Login using...

Shawn Bengtson

Office Broker - DRE 01236964

  • Office 760-805-7199
Questions?

14 Fwy Frontage Rd, California City – $55,000

  • $55k Price
  • 17.21 Acres
  • 98 DOM
  • $55k Price
  • 17.21 Acres
  • 98 DOM

14 Fwy Frontage Rd

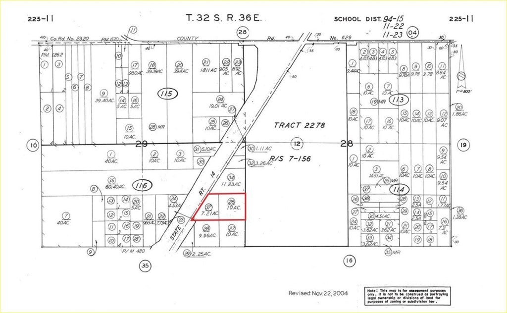
**Excellent development opportunity with two contiguous parcels totaling 17.21 acres zoned R3 High-Density Residential. Located just south of California City Blvd with direct paved frontage along the Hwy 14 Frontage Road, these parcels sit immediately east of State Highway 14 in a future residential corridor. The 7.21-acre and 10-acre parcels offer flat, buildable terrain ideal for multi-family housing, townhomes, apartments, or higher-density residential projects (buyer to verify). Prime location near the Mojave Air & Space Port, with outstanding visibility and convenient access to major transportation routes. Rare chance for developers to secure large R3-zoned acreage in a high-growth area with strong long-term demand.**APN#225-116-37 & 26 both included in sale.

Essential Information

  • MLS® #SR25272855
  • Price$55,000
  • Bathrooms0.00
  • Acres17.21
  • TypeLand
  • StatusActive

Community Information

  • Address14 Fwy Frontage Rd
  • AreaCAC - California City
  • CityCalifornia City
  • CountyKern
  • Zip Code93501

Amenities

  • UtilitiesWater Not Available
  • ViewMountain(s), Desert

Exterior

Lot Description

ThirtySixToFortyUnitsAcre, Lot Over 40000 Sqft, Value In Land, Irregular Lot, ThirtyOneToThirtyFiveUnitsAcre

Additional Information

  • Date ListedDecember 7th, 2025
  • Days on Market98
  • ZoningR3

Listing Details

  • AgentApril Bartlett
  • OfficeBlock Properties,Inc.
Please provide a valid email address.

April Bartlett, Block Properties,Inc..

Based on information from California Regional Multiple Listing Service, Inc. as of March 16th, 2026 at 9:30pm PDT. This information is for your personal, non-commercial use and may not be used for any purpose other than to identify prospective properties you may be interested in purchasing. Display of MLS data is usually deemed reliable but is NOT guaranteed accurate by the MLS. Buyers are responsible for verifying the accuracy of all information and should investigate the data themselves or retain appropriate professionals. Information from sources other than the Listing Agent may have been included in the MLS data. Unless otherwise specified in writing, Broker/Agent has not and will not verify any information obtained from other sources. The Broker/Agent providing the information contained herein may or may not have been the Listing and/or Selling Agent.