Connect

Find us on...

Dashboard

Login using...

Shawn Bengtson

Office Broker - DRE 01236964

  • Office 760-805-7199
Questions?

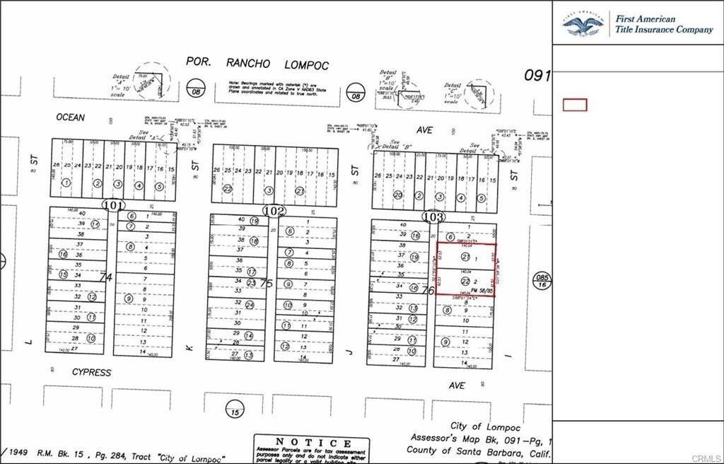
117 S I Street, Lompoc – $339,000

  • $339k Price
  • .2 Acres
  • 8 DOM
  • $339k Price
  • .2 Acres
  • 8 DOM

117 S I Street

Prime 0.40-Acre Empty land Development Opportunity in Historic Old Town Lompoc at I Street – Includes Two Parcels. Discover a rare investment opportunity in the heart of Old Town Lompoc, Santa Barbara County. This flat, build-ready 0.40-acre land consists of two adjoining parcels (APNs 091-103-021 & 091-103-022) and offers exceptional development potential in a rapidly revitalizing area. Preliminary evaluation indicates the site could accommodate some commercial space and approximately 48 residential units, including 7 affordable units for low-income housing when considering AB 2001 Bill as well as density bonus incentives. No parking is required under these provisions, making this a highly versatile opportunity for developers looking to bring new residential and retail vitality to the downtown corridor. All information should be confirmed with the City of Lompoc and independently verified by the buyer. This land also carries rich historic significance. In 1875, it was home to the iconic Sherman Hotel, later known as the Colonial Inn, built by Lompoc’s first postmaster. Over the years, it held several names—including the Veit House, Cousin’s Hotel, and Mastro's Colony House—before its demolition in 1989. Today, the site stands ready for a new chapter, offering a unique opportunity to revitalize a meaningful piece of Lompoc’s past. With its central location, flat topography, and flexible development possibilities, this property is ideal for a thoughtfully designed residential or mixed-use project. Bring your vision to a site where history, community, and opportunity come together.

Essential Information

  • MLS® #SR25277552
  • Price$339,000
  • Bathrooms0.00
  • Acres0.20
  • TypeLand
  • StatusActive

Community Information

  • Address117 S I Street
  • AreaLOMP - Lompoc
  • SubdivisionSouth West Lmpc(54)
  • CityLompoc
  • CountySanta Barbara
  • Zip Code93436

Amenities

  • UtilitiesSee Remarks
  • ViewMountain(s)

Exterior

  • Lot DescriptionLevel

Additional Information

  • Date ListedDecember 17th, 2025
  • Days on Market8
  • ZoningCommercial/Mix

Listing Details

  • AgentSteven Sarahang
  • OfficeFlat Fee Inc.
Please provide a valid email address.

Steven Sarahang, Flat Fee Inc..

Based on information from California Regional Multiple Listing Service, Inc. as of December 25th, 2025 at 5:56am PST. This information is for your personal, non-commercial use and may not be used for any purpose other than to identify prospective properties you may be interested in purchasing. Display of MLS data is usually deemed reliable but is NOT guaranteed accurate by the MLS. Buyers are responsible for verifying the accuracy of all information and should investigate the data themselves or retain appropriate professionals. Information from sources other than the Listing Agent may have been included in the MLS data. Unless otherwise specified in writing, Broker/Agent has not and will not verify any information obtained from other sources. The Broker/Agent providing the information contained herein may or may not have been the Listing and/or Selling Agent.