Connect

Find us on...

Dashboard

Login using...

Shawn Bengtson

Office Broker - DRE 01236964

  • Office 760-805-7199
Questions?

Foothill Boulevard, Sylmar – $1,450,000

  • $1.5M Price
  • 2.58 Acres
  • 74 DOM
  • $1.5M Price
  • 2.58 Acres
  • 74 DOM

Foothill Boulevard

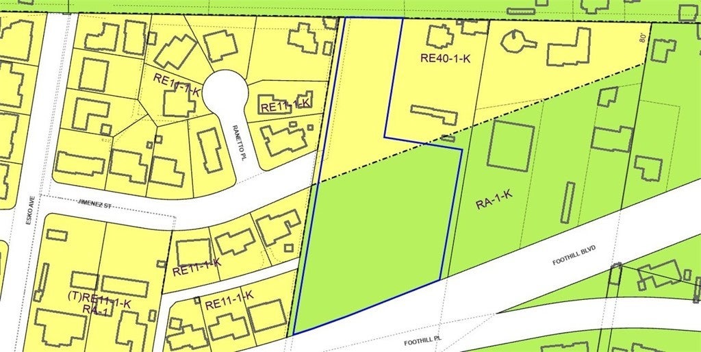
Rare 2.5-acre split-zoned parcel with Foothill Blvd frontage. Beautiful piece of land with mature shade trees, bordered by peaceful equestrian properties. Potential for multiple estate or residential homesites subject to City approvals. Large, irregular parcel with zoning boundary already established, providing flexibility in site planning, access, and future development. See ZIMAS zoning map in pictures. Ideal opportunity for developers or owner-builders seeking low-density residential development in an established hillside neighborhood just minutes from Burbank, Glendale and Hollywood. Commercial use or quasi-commercial use may be possible; current owner was able to obtain a conditional use permit to operate their nonprofit therapeutic riding program. Buyer to do their own investigations regarding development potential with the City of Los Angeles. Seller may carry.

Essential Information

  • MLS® #SR25282438
  • Price$1,450,000
  • Bathrooms0.00
  • Acres2.58
  • TypeLand
  • StatusActive

Community Information

  • AddressFoothill Boulevard
  • AreaSYL - Sylmar
  • CitySylmar
  • CountyLos Angeles
  • Zip Code91342

Amenities

  • ViewMountain(s)

Utilities

Sewer Not Available, Water Not Available

Exterior

  • Lot DescriptionTwoToFiveUnitsAcre

Additional Information

  • Date ListedDecember 31st, 2025
  • Days on Market74
  • ZoningRE40-1-K and RA-1-K

Listing Details

  • AgentRaquel Marchant

Office

Real Brokerage Technologies, Inc.

Please provide a valid email address.

Price Change History for Foothill Boulevard, Sylmar, (MLS® #SR25282438)

Date Details Change
Price Reduced from $1,650,000 to $1,450,000 $200,000 (12.12%)

Raquel Marchant, Real Brokerage Technologies, Inc..

Based on information from California Regional Multiple Listing Service, Inc. as of March 15th, 2026 at 4:11am PDT. This information is for your personal, non-commercial use and may not be used for any purpose other than to identify prospective properties you may be interested in purchasing. Display of MLS data is usually deemed reliable but is NOT guaranteed accurate by the MLS. Buyers are responsible for verifying the accuracy of all information and should investigate the data themselves or retain appropriate professionals. Information from sources other than the Listing Agent may have been included in the MLS data. Unless otherwise specified in writing, Broker/Agent has not and will not verify any information obtained from other sources. The Broker/Agent providing the information contained herein may or may not have been the Listing and/or Selling Agent.