Connect

Find us on...

Dashboard

Login using...

Shawn Bengtson

Office Broker - DRE 01236964

  • Office 760-805-7199
Questions?

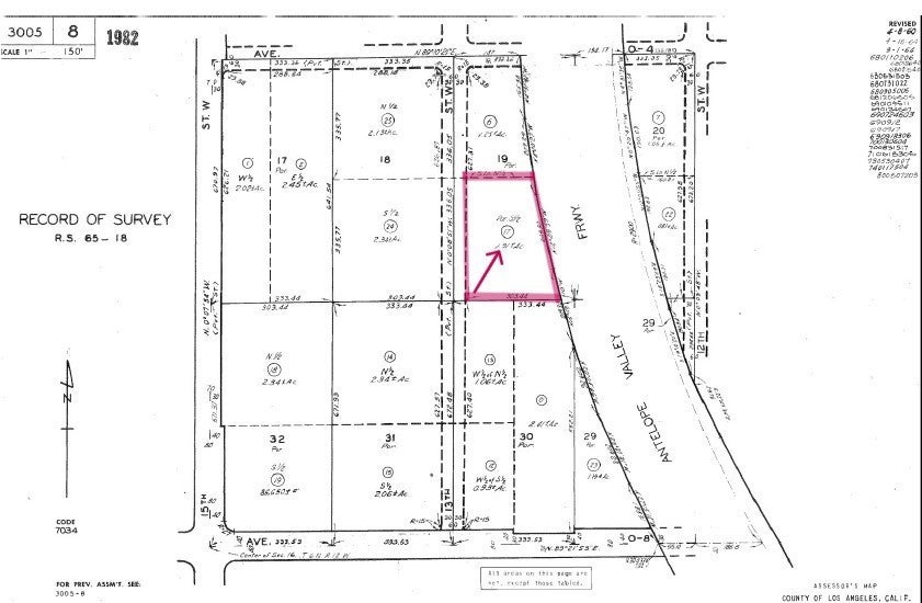
40102 13th W, Palmdale – $195,000

  • $195k Price
  • 1.98 Acres
  • 24 DOM
  • $195k Price
  • 1.98 Acres
  • 24 DOM

40102 13th W

Excellent opportunity to build in desirable West Palmdale. This nearly 2-acre parcel is vacant land with prior residence, established electric service, and active mutual water account, providing a strong foundation for redevelopment. The property previously supported a small single-family home that was lost to fire, offering a unique opportunity to build new while benefiting from existing infrastructure (buyer to verify zoning, utilities, and rebuilding requirements). West Palmdale offers a true four-season desert lifestyle. Enjoy warm, sunny summers, crisp fall evenings, mild winters with occasional mountain snow views, and vibrant springtime desert blooms. The area is well-known for its open space, wide skies, and outdoor recreation, including nearby parks, walking and equestrian trails, and easy access to hiking and nature areas throughout the Antelope Valley. Ideally located just minutes from the Antelope Valley Freeway, the property provides convenient commuter access while maintaining a more open, rural-residential feel. West Palmdale is prized for larger lots, established neighborhoods, and strong demand for custom homes. Nearby amenities include the Antelope Valley Mall, major retailers, grocery stores, restaurants, medical facilities, fitness centers, churches, and community services. This location offers the best of both worlds—space, privacy, and a relaxed lifestyle, combined with close proximity to shopping, dining, employment centers, and commuter routes. A rare opportunity to secure a sizable parcel in a prime West Palmdale location with existing utilities and excellent long-term potential. Buyer to verify all permitted uses and development feasibility.

Essential Information

  • MLS® #SR26008496
  • Price$195,000
  • Bathrooms0.00
  • Acres1.98
  • TypeLand
  • StatusActive

Community Information

  • Address40102 13th W
  • AreaPLM - Palmdale
  • CityPalmdale
  • CountyLos Angeles
  • Zip Code93551

Amenities

  • ViewMountain(s)

Utilities

Electricity Available, See Remarks, Water Available

Exterior

Lot Description

ZeroToOneUnitAcre, Horse Property, Lot Over 40000 Sqft, Rectangular Lot

Additional Information

  • Date ListedJanuary 15th, 2026
  • Days on Market24
  • ZoningLCA22

Listing Details

  • AgentJoe Morales
  • OfficeHomeBased Realty
Please provide a valid email address.

Joe Morales, HomeBased Realty.

Based on information from California Regional Multiple Listing Service, Inc. as of February 8th, 2026 at 4:55am PST. This information is for your personal, non-commercial use and may not be used for any purpose other than to identify prospective properties you may be interested in purchasing. Display of MLS data is usually deemed reliable but is NOT guaranteed accurate by the MLS. Buyers are responsible for verifying the accuracy of all information and should investigate the data themselves or retain appropriate professionals. Information from sources other than the Listing Agent may have been included in the MLS data. Unless otherwise specified in writing, Broker/Agent has not and will not verify any information obtained from other sources. The Broker/Agent providing the information contained herein may or may not have been the Listing and/or Selling Agent.