Connect

Find us on...

Dashboard

Login using...

Shawn Bengtson

Office Broker - DRE 01236964

  • Office 760-805-7199
Questions?

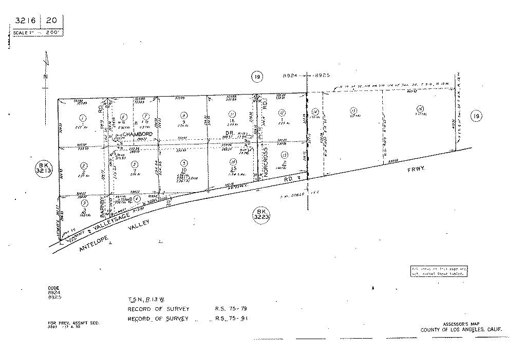
7600 Vac/cor Valley Sage/norcross, Acton – $270,000

  • $270k Price
  • 2.23 Acres
  • 11 DOM
  • $270k Price
  • 2.23 Acres
  • 11 DOM

7600 Vac/cor Valley Sage/norcross

This 2.2 acre parcel is located on the corner of Valley Sage and Norcross, with rear access available at the northwest portion of the lot, surrounded by existing homes. Easily accessible, located on a paved road off Escondido Canyon Road north of Hwy 14. Electricity is available at the property. Future well has been marked. There was a previously approved well permit that would need to be reissued – The property is Zoned LCA11 which could include residential and small agriculture uses - Buyer to verify land use possibilities with the County of Los Angeles. A new home development is currently in progress and is located at the east end of Valley Sage. Broker/Agent does not guarantee the accuracy of the square footage, lot size or other information concerning the conditions or features provided by the seller, obtained from Public Records or other sources. Buyer is advised to independently verify the accuracy of all information through personal inspection and the use of appropriate professional inspections.

Essential Information

  • MLS® #SR26019659
  • Price$270,000
  • Bathrooms0.00
  • Acres2.23
  • TypeLand
  • StatusActive

Community Information

  • AreaACTO - Acton
  • SubdivisionCustom Acton (CACTO)
  • CityActon
  • CountyLos Angeles
  • Zip Code93510

Address

7600 Vac/cor Valley Sage/norcross

Amenities

  • ViewHills

Utilities

Electricity Available, Propane, Water Available, Sewer Not Available

Exterior

Lot Description

TwoToFiveUnitsAcre, Corner Lot, Gentle Sloping, Lot Over 40000 Sqft, Rectangular Lot

Additional Information

  • Date ListedJanuary 1st, 2026
  • Days on Market11
  • ZoningLCA11

Listing Details

  • AgentDiana Cerritos
  • OfficeTrinity Real Estate Group
Please provide a valid email address.

Diana Cerritos, Trinity Real Estate Group.

Based on information from California Regional Multiple Listing Service, Inc. as of February 7th, 2026 at 9:35am PST. This information is for your personal, non-commercial use and may not be used for any purpose other than to identify prospective properties you may be interested in purchasing. Display of MLS data is usually deemed reliable but is NOT guaranteed accurate by the MLS. Buyers are responsible for verifying the accuracy of all information and should investigate the data themselves or retain appropriate professionals. Information from sources other than the Listing Agent may have been included in the MLS data. Unless otherwise specified in writing, Broker/Agent has not and will not verify any information obtained from other sources. The Broker/Agent providing the information contained herein may or may not have been the Listing and/or Selling Agent.