Connect

Find us on...

Dashboard

Login using...

Shawn Bengtson

Office Broker - DRE 01236964

  • Office 760-805-7199
Questions?

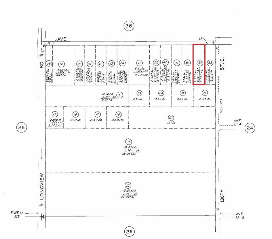
13500 E Avenue U, Pearblossom – $24,900

  • $24.9k Price
  • 2.29 Acres
  • 25 DOM
  • $24.9k Price
  • 2.29 Acres
  • 25 DOM

13500 E Avenue U

Excellent 2.29-acre land parcel in the Pearblossom area. Great close-in location, with frontage on Ave U (see plot map showing easement) and just off 136th St E, which is a straight drive to Pearblossom Hwy. This parcel is a short drive to the towns of Pearblossom and Littlerock. The location of this parcel is centralized and easy to reach, so this may be a great location to camp, go off-roading, install a mobile home, build a house, or start a small farm. Great piece of land to achieve your dreams!

Essential Information

  • MLS® #SR26032772
  • Price$24,900
  • Bathrooms0.00
  • Acres2.29
  • TypeLand
  • StatusActive

Community Information

  • Address13500 E Avenue U
  • AreaPBLM - Pearblossom
  • CityPearblossom
  • CountyLos Angeles
  • Zip Code93553

Amenities

  • UtilitiesWater Not Available
  • ViewNone

Exterior

  • Lot DescriptionLot Over 40000 Sqft

Additional Information

  • Date ListedFebruary 12th, 2026
  • Days on Market25
  • ZoningLCA25*

Listing Details

  • AgentMark Mestepey
  • OfficeCastlestone Properties, Inc.
Please provide a valid email address.

Mark Mestepey, Castlestone Properties, Inc..

Based on information from California Regional Multiple Listing Service, Inc. as of March 9th, 2026 at 7:35am PDT. This information is for your personal, non-commercial use and may not be used for any purpose other than to identify prospective properties you may be interested in purchasing. Display of MLS data is usually deemed reliable but is NOT guaranteed accurate by the MLS. Buyers are responsible for verifying the accuracy of all information and should investigate the data themselves or retain appropriate professionals. Information from sources other than the Listing Agent may have been included in the MLS data. Unless otherwise specified in writing, Broker/Agent has not and will not verify any information obtained from other sources. The Broker/Agent providing the information contained herein may or may not have been the Listing and/or Selling Agent.